New Search Family, Subfamily and Tribe List

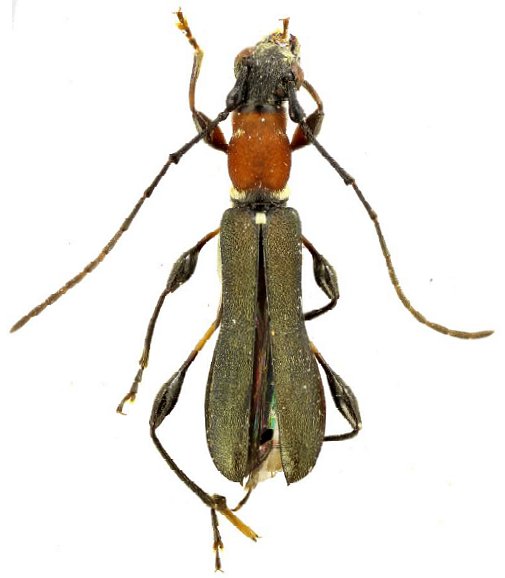
SubFamily Cerambycinae

Tribe Cleomenini
Nidella petrovi Barsevskis & Cabras 2021

Specimen Type: holotype
Sex: f
Institution: DUBC Daugavpils University, Coleopterological Research Center, Latvia
Photographer: Arvids Barševskis
Collection Location: Baco, Mindoro, Philippines
90389

130425