New Search Family, Subfamily and Tribe List

SubFamily Lamiinae

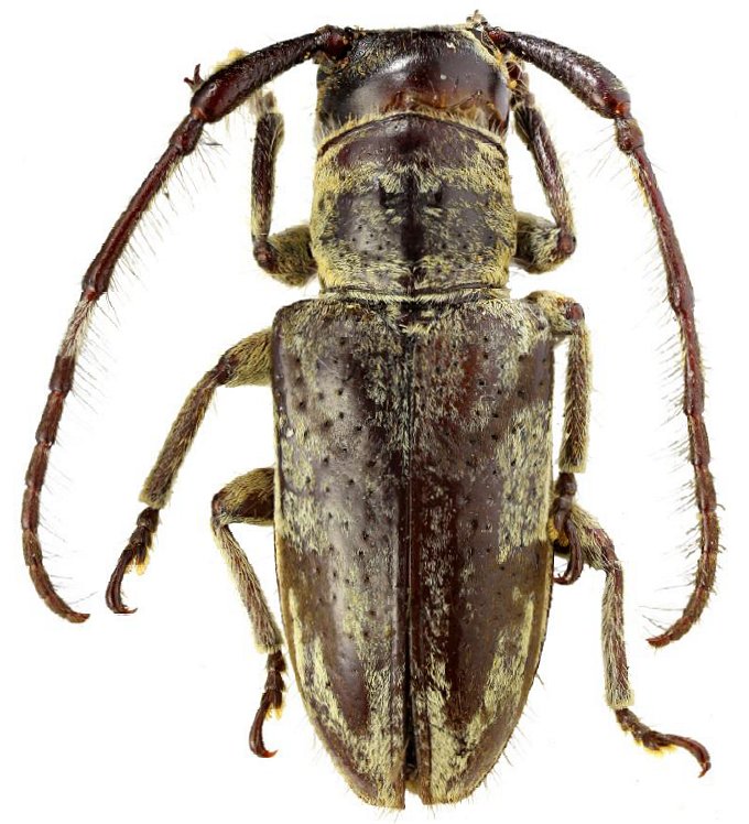
Tribe Pteropliini
Synixais fantii Barševskis 2021

Specimen Type: holotype
Sex: f
Institution: DUBC Daugavpils University, Coleopterological Research Center, Latvia
Photographer: Alexey Shavrin
Collection Location: Belance, Nueva Viscaya, Luzon, Philippines
90415

130425