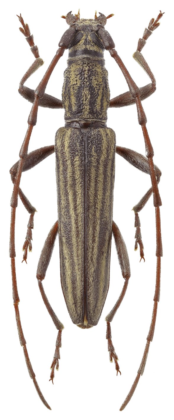
 Miroshnikov Dembicky coll 11 km SE Kotagiri, Nilgiri Hills, Tamil Nadu, India.jpg)
Specimen Type: holotype Sex: m Institution: Dembicky Collection Photographer: Miroshnikov Collection Location: 11 km SE Kotagiri, Nilgiri Hills, Tamil Nadu, India 90109
|
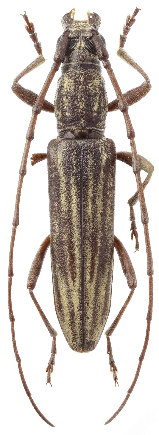
 Miroshnikov Dembicky coll 11 km SE Kotagiri, Nilgiri Hills, Tamil Nadu, India.jpg)
Specimen Type: paratype Sex: f Institution: Dembicky Collection Photographer: Miroshnikov Collection Location: 11 km SE Kotagiri, Nilgiri Hills, Tamil Nadu, India 90110
|