New Search Family, Subfamily and Tribe List

SubFamily Lamiinae

Tribe Acanthocinini
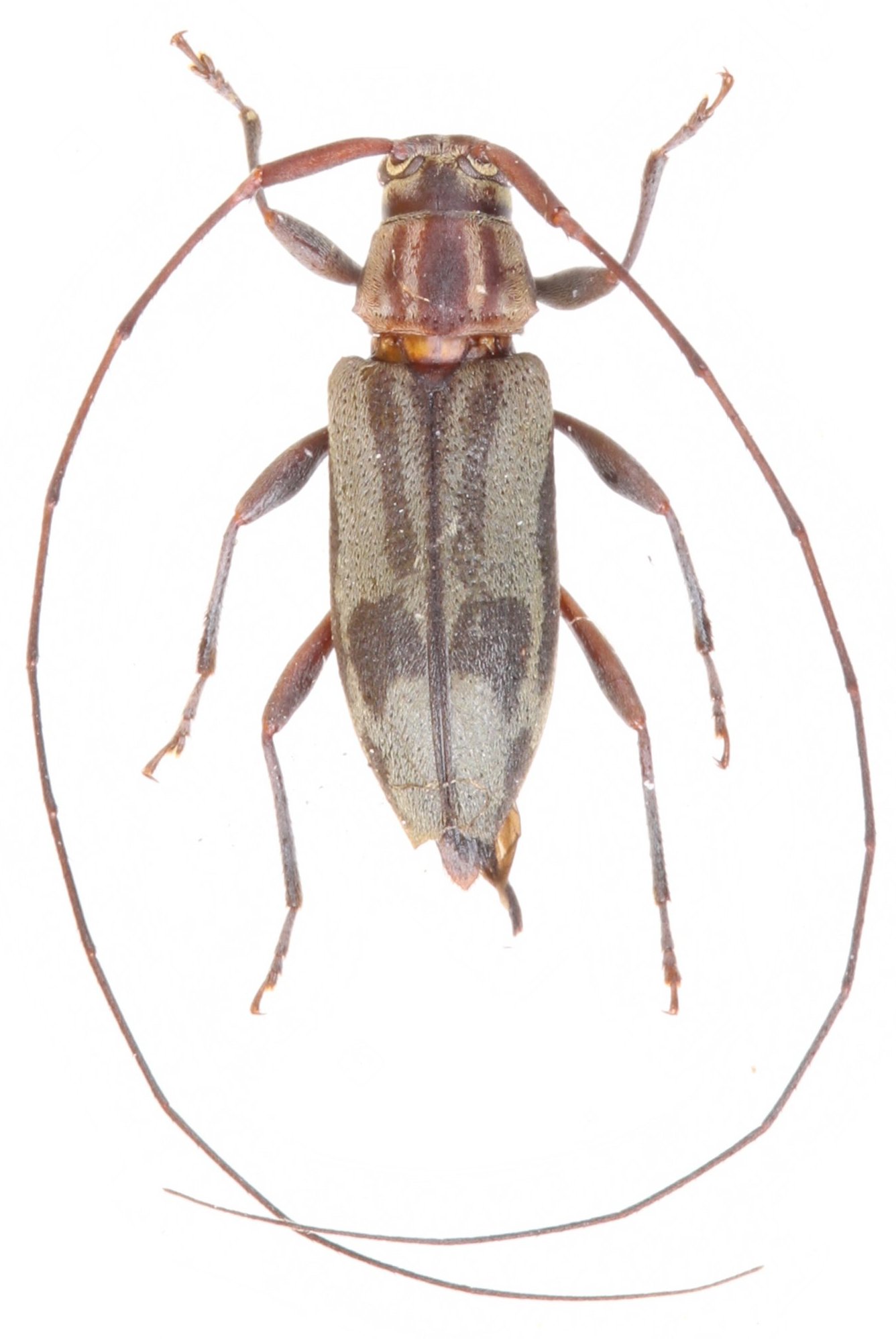
Lepturges boteroi Audureau 2023

Specimen Type: holotype
Sex: m
Institution: Audureau Collection
Photographer: Alain Audureau
Collection Location: Pozuzu Village, Oxapampa Province, Pasco Region, Peru
89970

130425