New Search Family, Subfamily and Tribe List

SubFamily Lamiinae

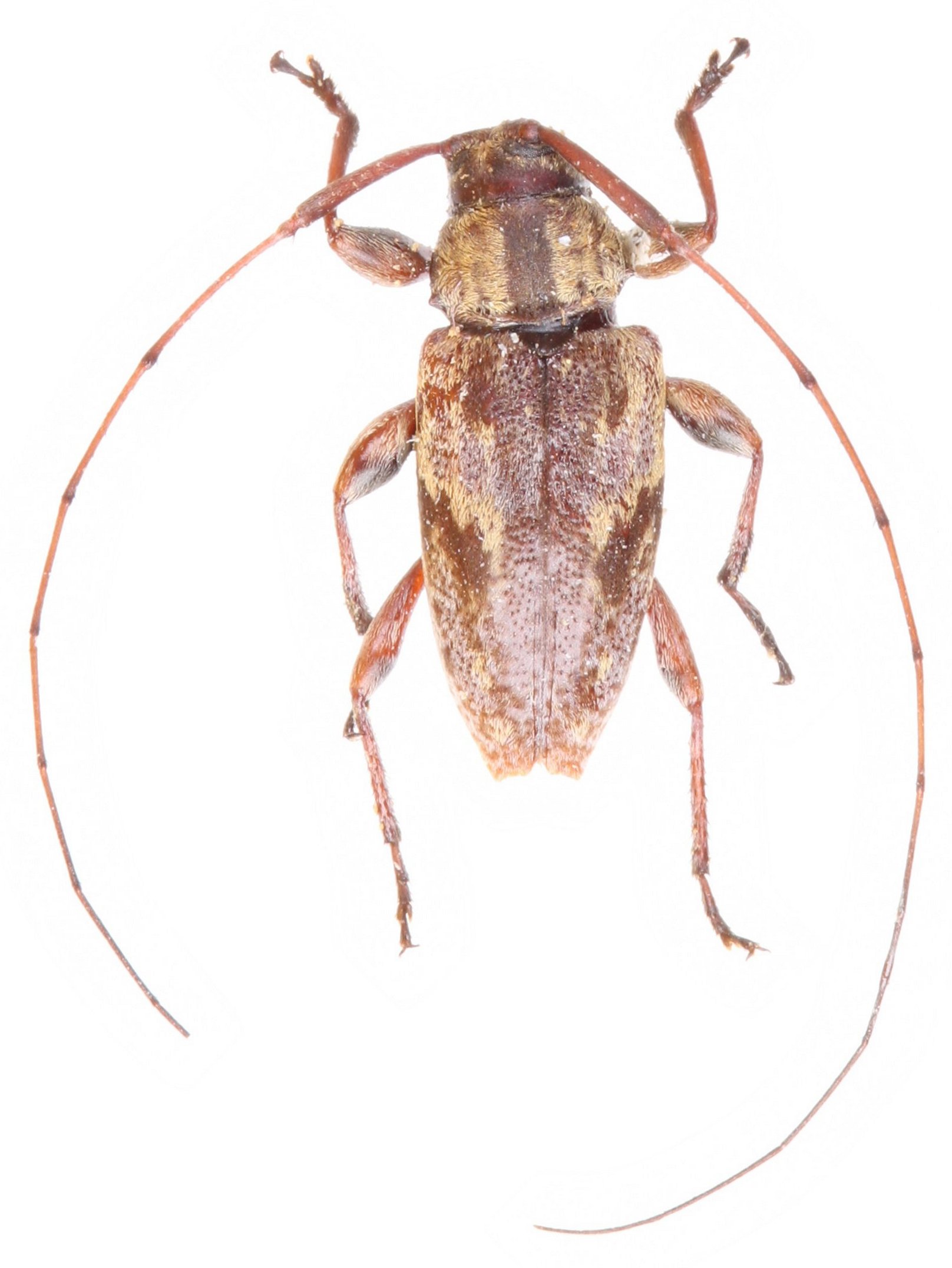
Tribe Acanthocinini
Hylettus cuespani Audureau 2023

Specimen Type: holotype
Sex: m
Institution: Audureau Collection
Photographer: Alain Audureau
Collection Location: Tingo Maria, Leoncio Prado Province, Huanuco Region, Peru
89969

130425