New Search Family, Subfamily and Tribe List

SubFamily Lamiinae

Tribe Acanthocinini
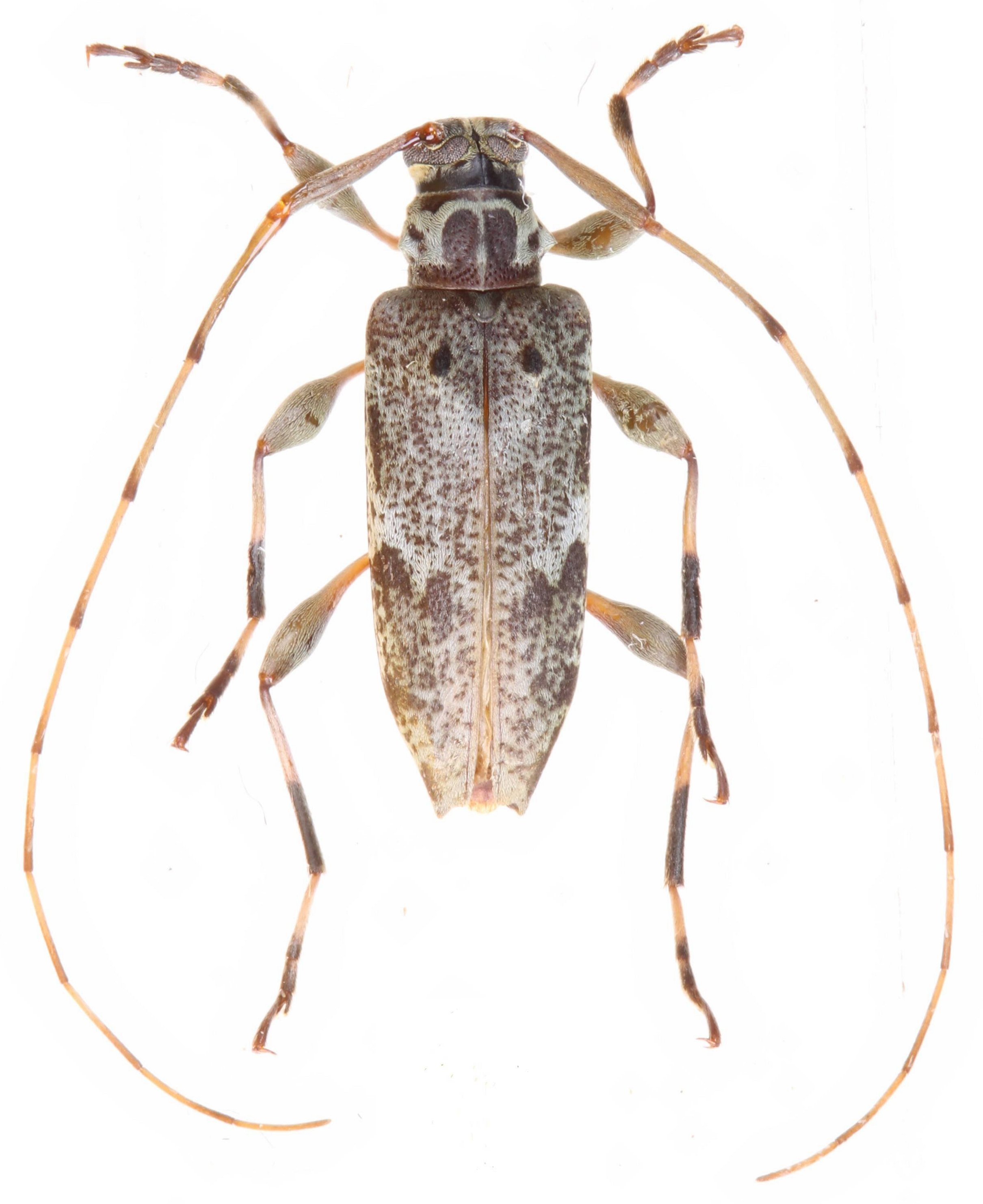
Hamatastus colombiensis Audureau 2023

Specimen Type: holotype
Sex: f
Institution: Audureau Collection
Photographer: Alain Audureau
Collection Location: La Libia, vic Cerro Bravo, Tolima, Colombia
89967

130425