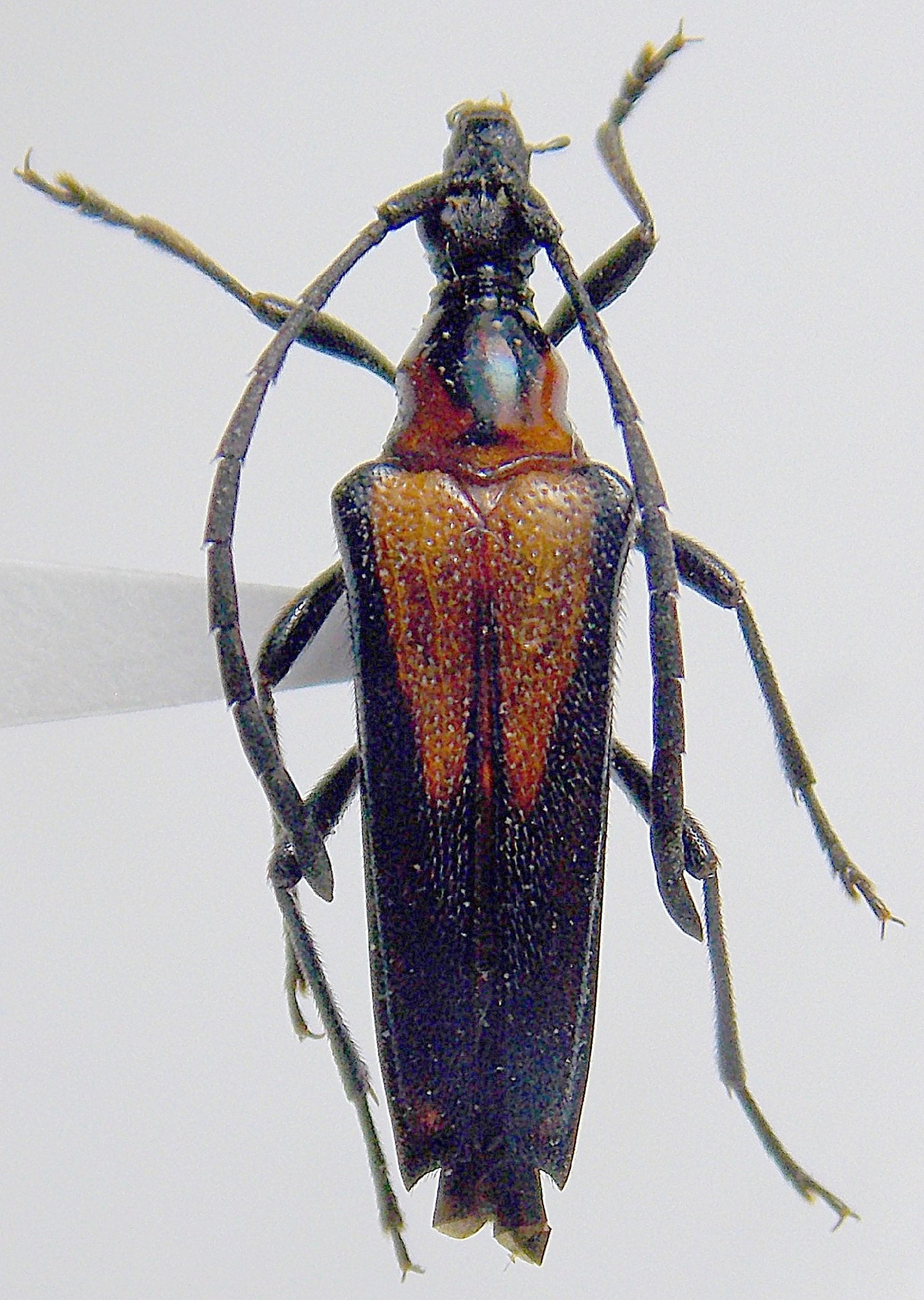
_(m)_Bates_MNHN_JAC_=_Cyphonotida_rostrata_rostrata.jpg)
Ophistomis rostratus Bates Specimen Type: lectotype Sex: m Institution: MNHN Museum of Natural History Paris, France Photographer: John Chemsak Collection Location: Colombia 17887
|
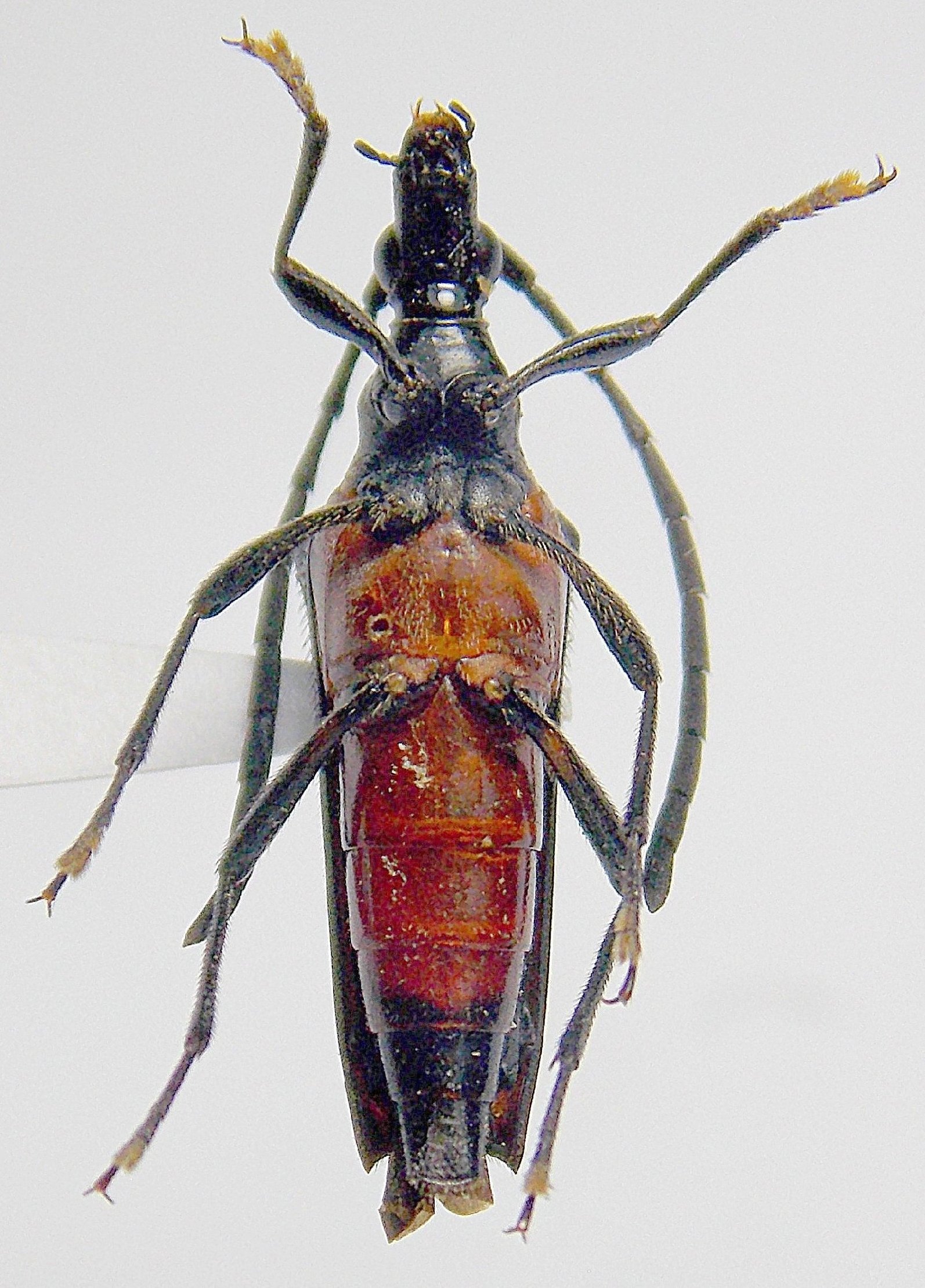
_Bates_BMNH_Capetillo_Sacatepequez_Guat_nowCyphonotida_rost_LGB.jpg)
Ophistomis laevicollis Bates Specimen Type: holotype Sex: f Institution: BMNH British Museum Natural History, London, UK Photographer: Larry G. Bezark Collection Location: Capetillo, Sacatepéquez, Guatemala 17869
|
_JW.jpg)
Photographer: Jim Wappes Collection Location: Bolivia 42140
|
_LGB.jpg)
Institution: LGBC Larry G. Bezark Collection, Sacramento, California, USA Photographer: Larry G. Bezark Collection Location: 6 km SE Santa Elena, Puntarenas, Costa Rica 852
|
 Bates San Agustin Village, Lambayeque Region, Chiclayo Province, Peru Gino Juarez-Noe pic.jpg)
Sex: f Photographer: Gino Juarez-Noe Collection Location: San Agustin Village, Lambayeque Region, Chiclayo Province, Peru 89423
|
 Bates San Agustin Village, Lambayeque Region, Chiclayo Province, Peru Gino Juarez-Noe pic.jpg)
Sex: f Photographer: Gino Juarez-Noe Collection Location: San Agustin Village, Lambayeque Region, Chiclayo Province, Peru 89424
|
|