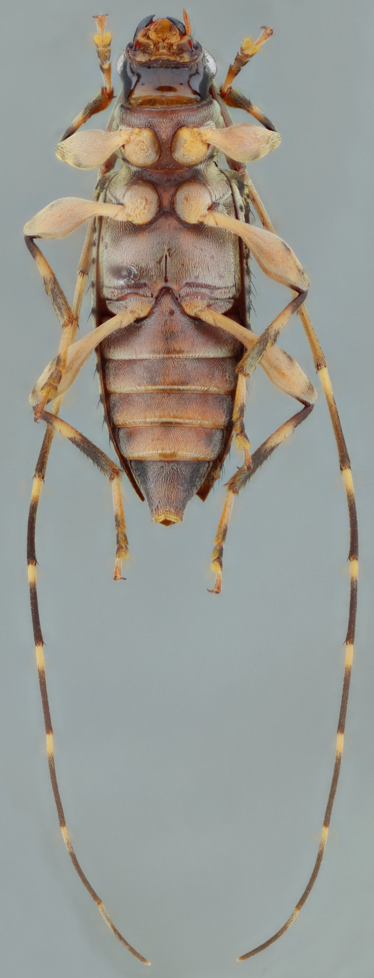
 Bot SS FSCA 4 km N Bermejo, Refugio Los Volcanes, Santa Cruz, Bolivia.jpg)
Specimen Type: holotype Sex: m Institution: FSCA Florida State Collection of Arthropods, Gainesville, FL, USA Photographer: Antonio Santos-Silva Collection Location: 4 km N Bermejo, Refugio Los Volcanes, Santa Cruz, Bolivia 89920
|
 Bot SS FSCA 4 km N Bermejo, Refugio Los Volcanes, Santa Cruz, Bolivia.jpg)
Specimen Type: holotype Sex: m Institution: FSCA Florida State Collection of Arthropods, Gainesville, FL, USA Photographer: Antonio Santos-Silva Collection Location: 4 km N Bermejo, Refugio Los Volcanes, Santa Cruz, Bolivia 89921
|
 Bot SS FSCA 4 km N Bermejo, Refugio Los Volcanes, Santa Cruz, Bolivia.jpg)
Specimen Type: holotype Sex: m Institution: FSCA Florida State Collection of Arthropods, Gainesville, FL, USA Photographer: Antonio Santos-Silva Collection Location: 4 km N Bermejo, Refugio Los Volcanes, Santa Cruz, Bolivia 89922
|
 Bot SS FSCA 4 km N Bermejo, Refugio Los Volcanes, Santa Cruz, Bolivia.jpg)
Specimen Type: holotype Sex: m Institution: FSCA Florida State Collection of Arthropods, Gainesville, FL, USA Photographer: Antonio Santos-Silva Collection Location: 4 km N Bermejo, Refugio Los Volcanes, Santa Cruz, Bolivia 89923
|
 Bot SS MZSP 4 km N Bermejo, Refugio Los Volcanes, Santa Cruz, Bolivia.jpg)
Specimen Type: paratype Sex: f Institution: MZSP Museu de Zoologia da Universidade de São Paulo, Brazil Photographer: Antonio Santos-Silva Collection Location: 4 km N Bermejo, Refugio Los Volcanes, Santa Cruz, Bolivia 89924
|
 Bot SS MZSP 4 km N Bermejo, Refugio Los Volcanes, Santa Cruz, Bolivia.jpg)
Specimen Type: paratype Sex: f Institution: MZSP Museu de Zoologia da Universidade de São Paulo, Brazil Photographer: Antonio Santos-Silva Collection Location: 4 km N Bermejo, Refugio Los Volcanes, Santa Cruz, Bolivia 89925
|
|