 Bez SS CAS 35 km NE Catemaco, UNAM Field Stat, Veracruz, Mexico.jpg)
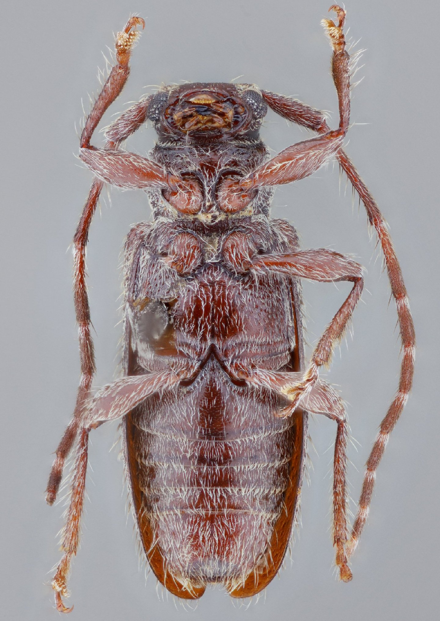
Specimen Type: holotype Sex: m Institution: CAS California Academy of Sciences, San Francisco, CA, USA Photographer: Antonio Santos-Silva Collection Location: 35 km NE Catemaco, UNAM Field Station, Veracruz, Mexico 89901
|
 Bez SS CAS 35 km NE Catemaco, UNAM Field Stat, Veracruz, Mexico.jpg)
Specimen Type: holotype Sex: m Institution: CAS California Academy of Sciences, San Francisco, CA, USA Photographer: Antonio Santos-Silva Collection Location: 35 km NE Catemaco, UNAM Field Station, Veracruz, Mexico 89902
|
 Bez SS CAS 35 km NE Catemaco, UNAM Field Stat, Veracruz, Mexico.jpg)
Specimen Type: holotype Sex: m Institution: CAS California Academy of Sciences, San Francisco, CA, USA Photographer: Antonio Santos-Silva Collection Location: 35 km NE Catemaco, UNAM Field Station, Veracruz, Mexico 89903
|
 Bez SS CAS 35 km NE Catemaco, UNAM Field Stat, Veracruz, Mexico.jpg)
Specimen Type: holotype Sex: m Institution: CAS California Academy of Sciences, San Francisco, CA, USA Photographer: Antonio Santos-Silva Collection Location: 35 km NE Catemaco, UNAM Field Station, Veracruz, Mexico 89904
|
 Bez coll SS 35 km NE Catemaco, UNAM Field Stat, Veracruz, Mexico.jpg)
Specimen Type: paratype Sex: f Institution: LGBC Larry G. Bezark Collection, Sacramento, California, USA Photographer: Antonio Santos-Silva Collection Location: 35 km NE Catemaco, UNAM Field Station, Veracruz, Mexico 89905
|
 Bez coll SS 35 km NE Catemaco, UNAM Field Stat, Veracruz, Mexico.jpg)
Specimen Type: paratype Sex: f Institution: LGBC Larry G. Bezark Collection, Sacramento, California, USA Photographer: Antonio Santos-Silva Collection Location: 35 km NE Catemaco, UNAM Field Station, Veracruz, Mexico 89906
|
|