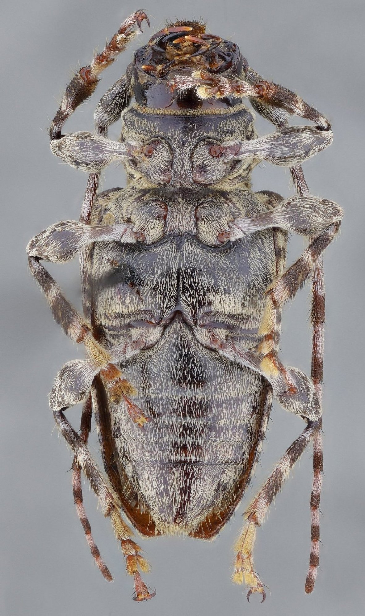
 Heff SS CNIN 2 km W jct Hwy 23 & road to Huaxtla, Jalisco, Mexico SS.jpg)
Specimen Type: holotype Sex: m Institution: CNIN Colección Nacional de Insectos, Instituto de Biología (UNAM), Mexico City, Mexico Photographer: Antonio Santos-Silva Collection Location: 2 km W jct Hwy 23 & road to Huaxtla, Jalisco, Mexico 89855
|
 Heff SS CNIN 2 km W jct Hwy 23 & road to Huaxtla, Jalisco, Mexico SS.jpg)
Specimen Type: holotype Sex: m Institution: CNIN Colección Nacional de Insectos, Instituto de Biología (UNAM), Mexico City, Mexico Photographer: Antonio Santos-Silva Collection Location: 2 km W jct Hwy 23 & road to Huaxtla, Jalisco, Mexico 89856
|
 Heff SS CNIN 2 km W jct Hwy 23 & road to Huaxtla, Jalisco, Mexico SS.jpg)
Specimen Type: holotype Sex: m Institution: CNIN Colección Nacional de Insectos, Instituto de Biología (UNAM), Mexico City, Mexico Photographer: Antonio Santos-Silva Collection Location: 2 km W jct Hwy 23 & road to Huaxtla, Jalisco, Mexico 89857
|
 Heff SS CNIN 2 km W jct Hwy 23 & road to Huaxtla, Jalisco, Mexico SS.jpg)
Specimen Type: holotype Sex: m Institution: CNIN Colección Nacional de Insectos, Instituto de Biología (UNAM), Mexico City, Mexico Photographer: Antonio Santos-Silva Collection Location: 2 km W jct Hwy 23 & road to Huaxtla, Jalisco, Mexico 89858
|
 Heff SS MZSP La Venta del Astirello, Jalisco, Mexico SS.jpg)
Specimen Type: paratype Sex: f Institution: MZSP Museu de Zoologia da Universidade de São Paulo, Brazil Photographer: Antonio Santos-Silva Collection Location: La Venta del Astirello, Jalisco, Mexico 89859
|
 Heff SS MZSP La Venta del Astirello, Jalisco, Mexico SS.jpg)
Specimen Type: paratype Sex: f Institution: MZSP Museu de Zoologia da Universidade de São Paulo, Brazil Photographer: Antonio Santos-Silva Collection Location: La Venta del Astirello, Jalisco, Mexico 89860
|
|