New Search Family, Subfamily and Tribe List

SubFamily Lepturinae

Tribe Encyclopini
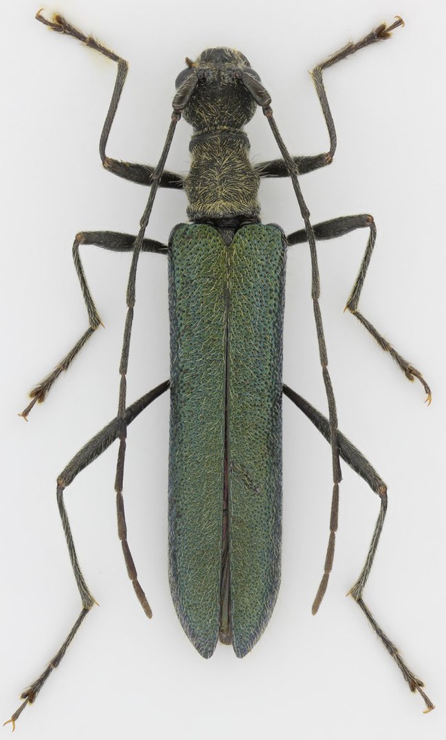
Encyclops gongshanus Viktora 2022

Specimen Type: holotype
Sex: f
Institution: Viktora Collection
Photographer: Richard Sehnal
Collection Location: Galabo Village, Gongshan County, Yunnan, China
89559

130425