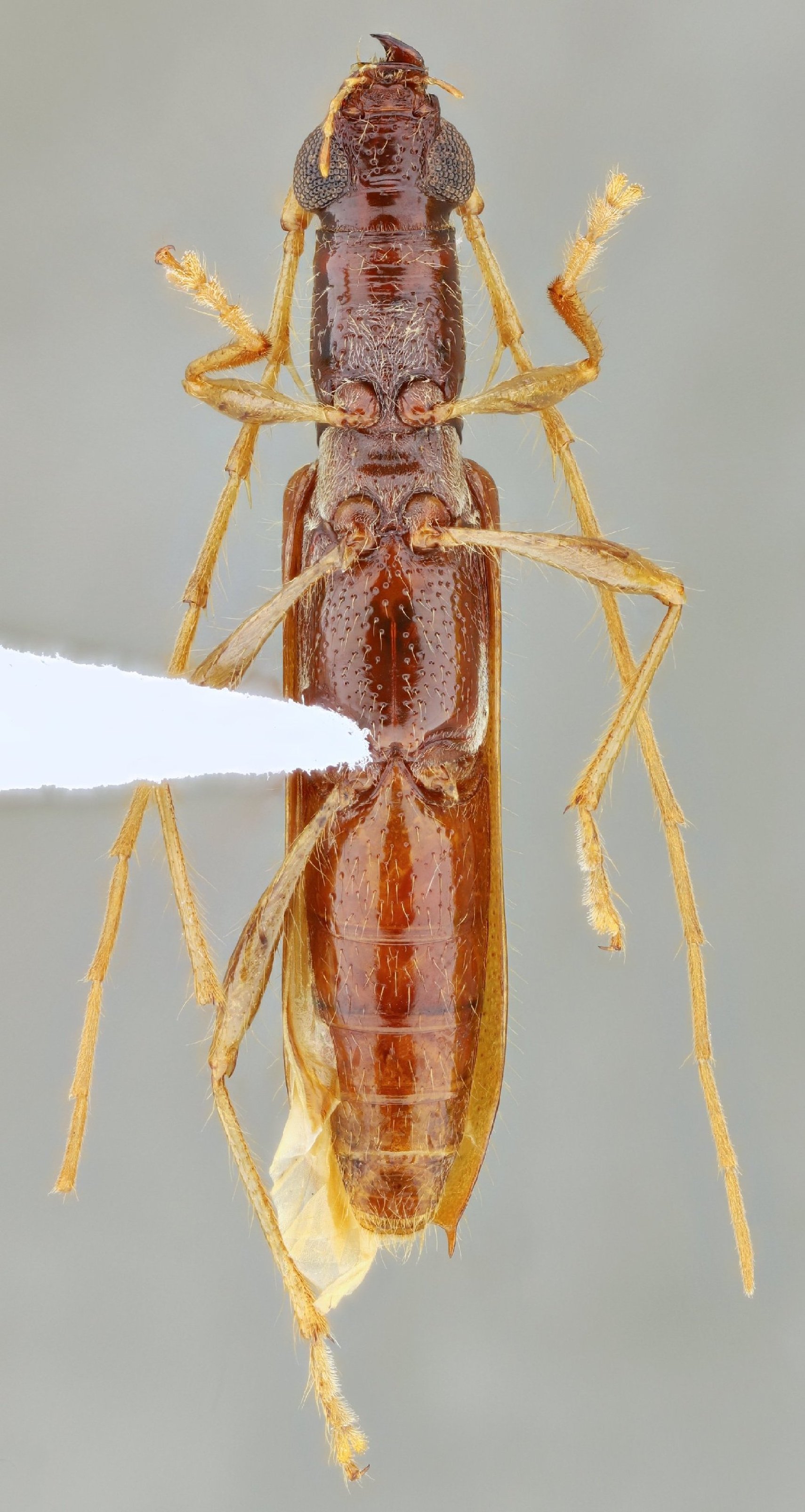
 Bez SS CAS 11 km N Patulul, Suchitepequez, Guatemala.jpg)
Specimen Type: holotype Sex: f Institution: CAS California Academy of Sciences, San Francisco, CA, USA Photographer: Antonio Santos-Silva Collection Location: 11 km N Patulul, Suchitepequez, Guatemala 81948
|
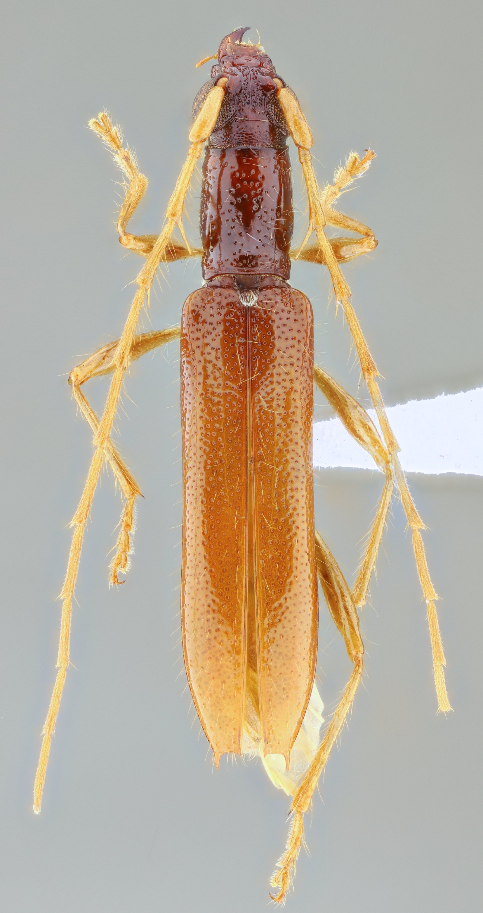
 Bez SS CAS 11 km N Patulul, Suchitepequez, Guatemala.jpg)
Specimen Type: holotype Sex: f Institution: CAS California Academy of Sciences, San Francisco, CA, USA Photographer: Antonio Santos-Silva Collection Location: 11 km N Patulul, Suchitepequez, Guatemala 81949
|
 Bez SS CAS 11 km N Patulul, Suchitepequez, Guatemala.jpg)
Specimen Type: holotype Sex: f Institution: CAS California Academy of Sciences, San Francisco, CA, USA Photographer: Antonio Santos-Silva Collection Location: 11 km N Patulul, Suchitepequez, Guatemala 81950
|
 Bez SS CAS 11 km N Patulul, Suchitepequez, Guatemala.jpg)
Specimen Type: holotype Sex: f Institution: CAS California Academy of Sciences, San Francisco, CA, USA Photographer: Antonio Santos-Silva Collection Location: 11 km N Patulul, Suchitepequez, Guatemala 81951
|
|