 Klug ZMHB Brazil Bernd Jaeger.jpg)
Specimen Type: lectotype Institution: ZMHB Museum für Naturkunde der Humboldt-Universität, Berlin, Germany Photographer: Bernd Jaeger Collection Location: Brazil 81677
|
.jpg)
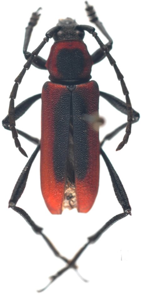
Eryphus purpuratus Chevrolat Specimen Type: syntype Sex: f Institution: BMNH British Museum Natural History, London, UK Photographer: John Chemsak Collection Location: Brazil 7438
|
_Chevrolat_BMNH_JAC.jpg)
Eryphus purpuratus Chevrolat Specimen Type: syntype Sex: f Institution: BMNH British Museum Natural History, London, UK Photographer: John Chemsak Collection Location: Brazil 16416
|

39585
|

Institution: UCB Essig Museum of Entomology, Berkeley, California, USA Photographer: Larry G. Bezark Collection Location: Nova Teutonia, Santa Catarina, Brazil 7439
|
|