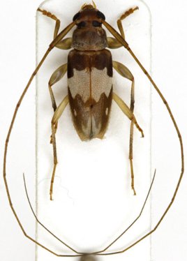
 Roguet coll Montagne des Singes, French Guiana website.jpg)
Specimen Type: holotype Sex: f Institution: Roguet Collection Photographer: JP Roguet, https://lamiinae.org Collection Location: Montagne des Singes, Cayenne, French Guiana 81578
|
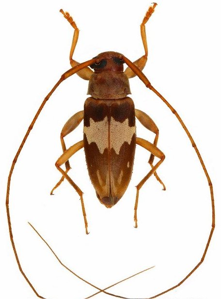
 Roguet coll Montagne des Singes, French Guiana.jpg)
Specimen Type: holotype Sex: f Institution: Roguet Collection Photographer: Jean-Philippe Roguet Collection Location: Montagne des Singes, Cayenne, French Guiana 81579
|
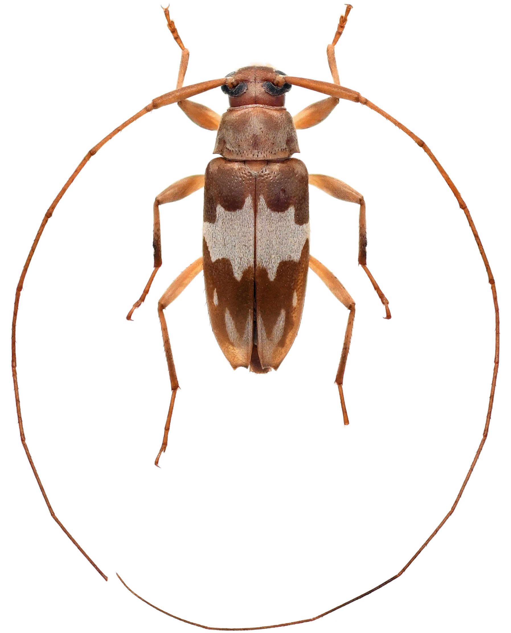
 Roguet coll Montagne des Singes, French Guiana.jpg)
Specimen Type: holotype Sex: f Institution: Roguet Collection Photographer: Jean-Philippe Roguet Collection Location: Montagne des Singes, Cayenne, French Guiana 81580
|
 Roguet coll Montagne des Singes, French Guiana.jpg)
Specimen Type: holotype Sex: f Institution: Roguet Collection Photographer: Jean-Philippe Roguet Collection Location: Montagne des Singes, Cayenne, French Guiana 81581
|

Photographer: Denis Faure Collection Location: French Guiana 28854
|
_Kaw_FG_JLG.jpg)
Photographer: Jean-Louis Giuglaris Collection Location: Kaw, French Guiana 68073
|