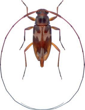
 Roguet coll pk37, Montagne de Kaw, Fr Guiana website.jpg)
Specimen Type: holotype Sex: m Institution: Roguet Collection Photographer: JP Roguet, https://lamiinae.org Collection Location: pk37, Montagne de Kaw, French Guiana 81574
|
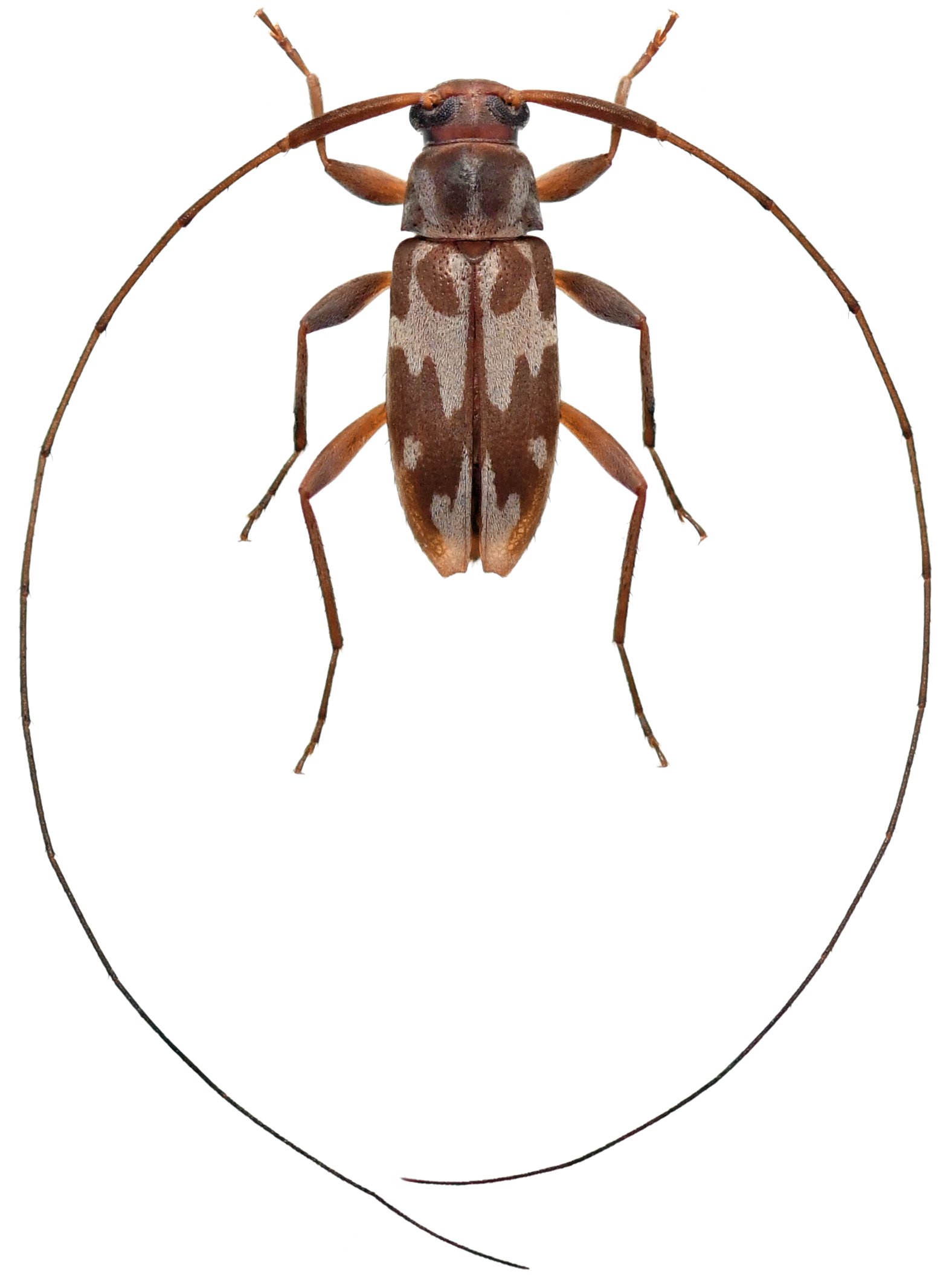
 Roguet coll pk37, Montagne de Kaw, Fr Guiana.jpg)
Specimen Type: holotype Sex: m Institution: Roguet Collection Photographer: Jean-Philippe Roguet Collection Location: pk37, Montagne de Kaw, French Guiana 81575
|
 Roguet coll pk37, Montagne de Kaw, Fr Guiana.jpg)
Specimen Type: holotype Sex: m Institution: Roguet Collection Photographer: Jean-Philippe Roguet Collection Location: pk37, Montagne de Kaw, French Guiana 81576
|
 Roguet coll pk37, Montagne de Kaw, Fr Guiana.jpg)
Specimen Type: holotype Sex: m Institution: Roguet Collection Photographer: Jean-Philippe Roguet Collection Location: pk37, Montagne de Kaw, French Guiana 81577
|
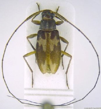
_dorsalis_(White)_Faure_French_Guiana.jpg)
Photographer: Denis Faure Determiner: Jean-Philippe Roguet Collection Location: French Guiana 22033
|
_(White)_Parque_Nacional_de_Itatiaia_RJ_Braz.jpg)
Specimen Type: probably this taxon Sex: m Institution: MNRJ Museu Nacional Universidade do Rio Janeiro, Brazil Photographer: Marcela Monne Determiner: Jean-Philippe Roguet Collection Location: Parque Nacional de Itatiaia, Rio de Janeiro, Brazil 53450
|

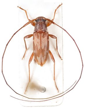
Photographer: JP Roguet, https://lamiinae.org Collection Location: Nicaragua 68072
|

Photographer: Jean-Louis Giuglaris Determiner: Jean-Philippe Roguet Collection Location: Kaw, French Guiana 68074
|