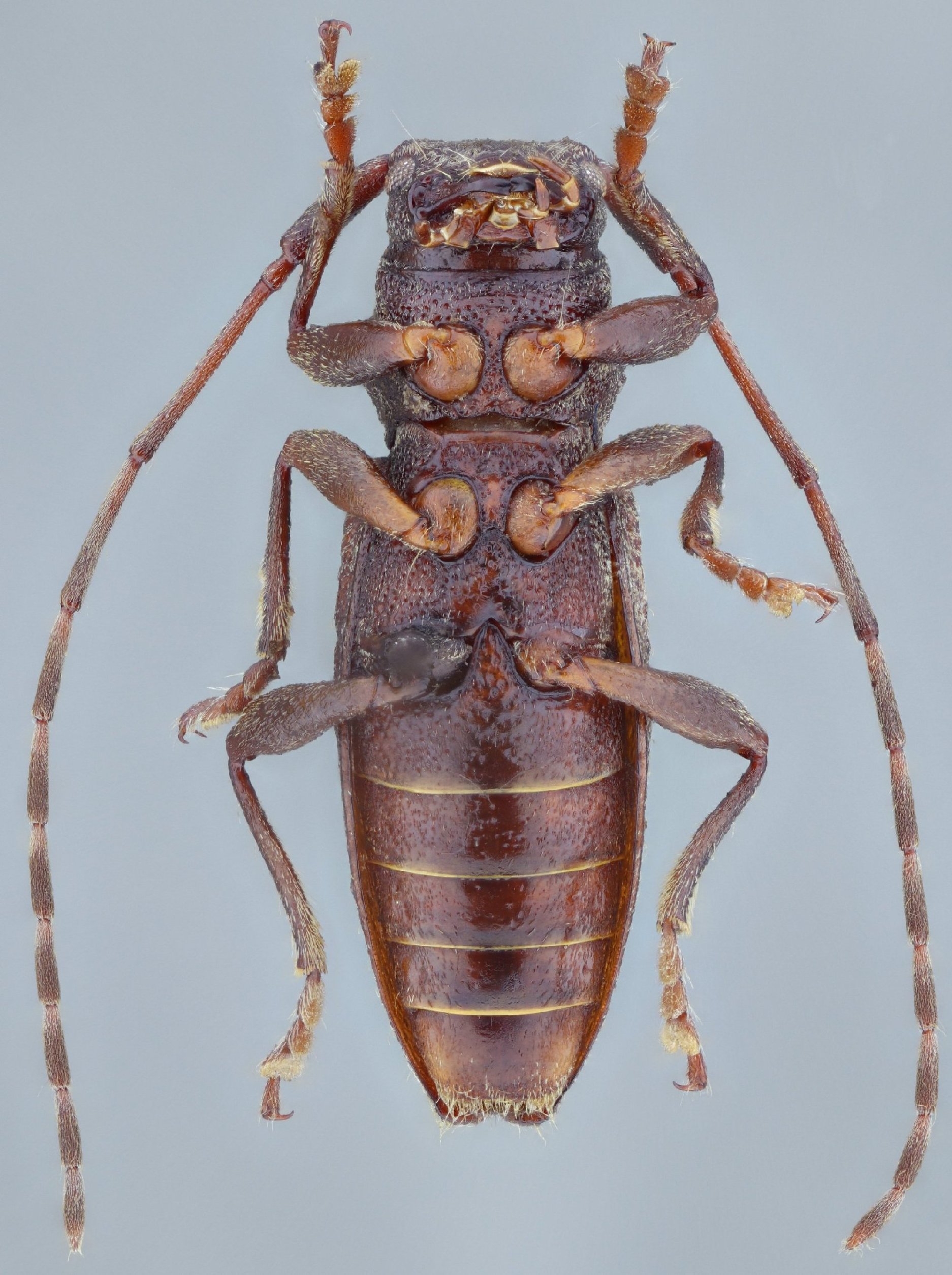
 Bez SS CAS Tungurahua, Pichincha, Ecuador SS.jpg)
Specimen Type: holotype Sex: m Institution: CAS California Academy of Sciences, San Francisco, CA, USA Photographer: Antonio Santos-Silva Collection Location: Tungurahua, Pichincha, Ecuador 81594
|
 Bez SS CAS Tungurahua, Pichincha, Ecuador SS.jpg)
Specimen Type: holotype Sex: m Institution: CAS California Academy of Sciences, San Francisco, CA, USA Photographer: Antonio Santos-Silva Collection Location: Tungurahua, Pichincha, Ecuador 81595
|
 Bez SS CAS Tungurahua, Pichincha, Ecuador SS.jpg)
Specimen Type: holotype Sex: m Institution: CAS California Academy of Sciences, San Francisco, CA, USA Photographer: Antonio Santos-Silva Collection Location: Tungurahua, Pichincha, Ecuador 81596
|
 Bez SS CAS Tungurahua, Pichincha, Ecuador SS.jpg)
Specimen Type: holotype Sex: m Institution: CAS California Academy of Sciences, San Francisco, CA, USA Photographer: Antonio Santos-Silva Collection Location: Tungurahua, Pichincha, Ecuador 81597
|
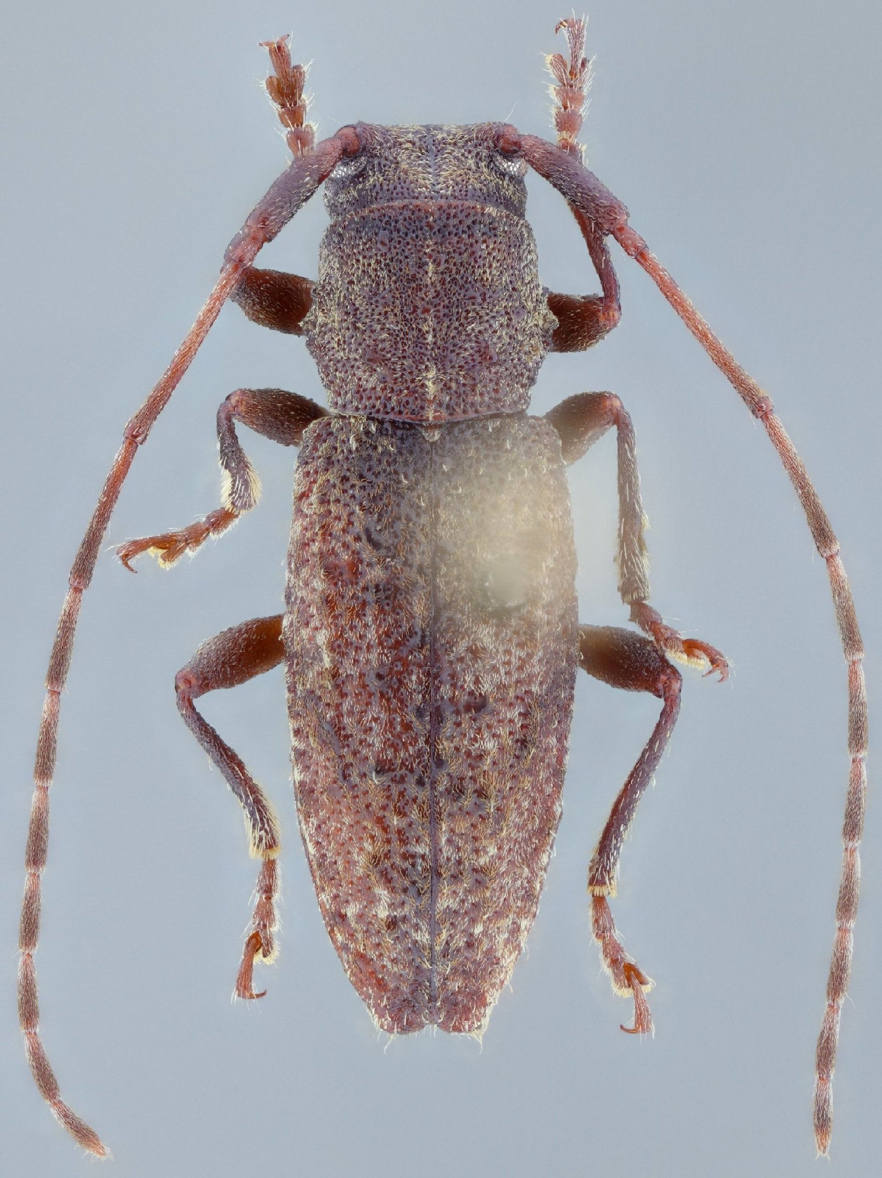
 Bez coll SS Tungurahua, Pichincha, Ecuador SS.jpg)
Specimen Type: paratype Sex: f Institution: LGBC Larry G. Bezark Collection, Sacramento, California, USA Photographer: Antonio Santos-Silva Collection Location: Tungurahua, Pichincha, Ecuador 81598
|
 Bez coll SS Tungurahua, Pichincha, Ecuador SS.jpg)
Specimen Type: paratype Sex: f Institution: LGBC Larry G. Bezark Collection, Sacramento, California, USA Photographer: Antonio Santos-Silva Collection Location: Tungurahua, Pichincha, Ecuador 81599
|
|