New Search Family, Subfamily and Tribe List

SubFamily Cerambycinae

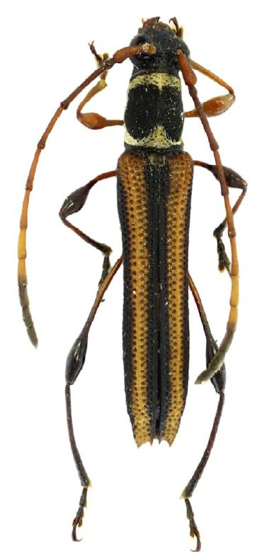
Tribe Cleomenini
Cleomenes medinai Barsevska & Barsevskis 2020

Specimen Type: holotype
Sex: m
Institution: DUBC Daugavpils University, Coleopterological Research Center, Latvia
Photographer: Arvids Barsevskis
Collection Location: Roxas, Palawan, Philippines
81265

130425