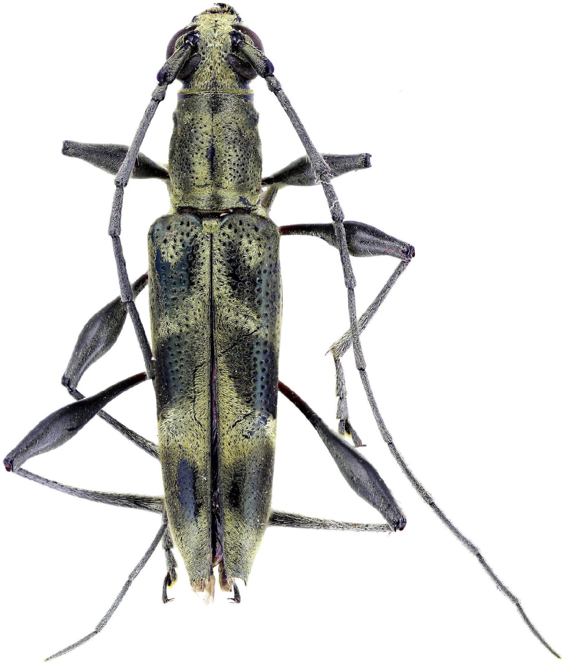
 Barsevskis Cabras Medina DUBC Lanao de Sur, Wao, Mindanao, Philippines.jpg)
Specimen Type: holotype Sex: m Institution: DUBC Daugavpils University, Coleopterological Research Center, Latvia Photographer: Arvids Barsevskis Collection Location: Lanao de Sur, Wao, Mindanao, Philippines 81242
|

Photographer: Gerard Chemin, Cerambycoidea Forum Collection Location: Dominorog, Bukidnon, Mindanao, Philippines 81247
|