 Nasc Merm INPA Itapiranga Road, Amazonas, Brazil Nasc.jpg)
Specimen Type: holotype Sex: m Institution: INPA Instituto Nacional de Pesquisas da Amazonia, Manaus, Brazil Photographer: Francisco Nascimento Collection Location: Itapiranga Road, Amazonas, Brazil 81207
|
 Nasc Merm INPA Itapiranga Road, Amazonas, Brazil Nasc.jpg)
Specimen Type: holotype Sex: m Institution: INPA Instituto Nacional de Pesquisas da Amazonia, Manaus, Brazil Photographer: Francisco Nascimento Collection Location: Itapiranga Road, Amazonas, Brazil 81208
|
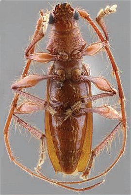
 Nasc Merm INPA Itapiranga Road, Amazonas, Brazil Nasc.jpg)
Specimen Type: holotype Sex: m Institution: INPA Instituto Nacional de Pesquisas da Amazonia, Manaus, Brazil Photographer: Francisco Nascimento Collection Location: Itapiranga Road, Amazonas, Brazil 81209
|
 Nasc Merm INPA Itapiranga Road, Amazonas, Brazil Nasc.jpg)
Specimen Type: holotype Sex: m Institution: INPA Instituto Nacional de Pesquisas da Amazonia, Manaus, Brazil Photographer: Francisco Nascimento Collection Location: Itapiranga Road, Amazonas, Brazil 81210
|
|