 Ferreira_Andre Ferreira pic Bravo MZFS Cavunge, Ipecaeta, Bahia, Brazil.jpg)
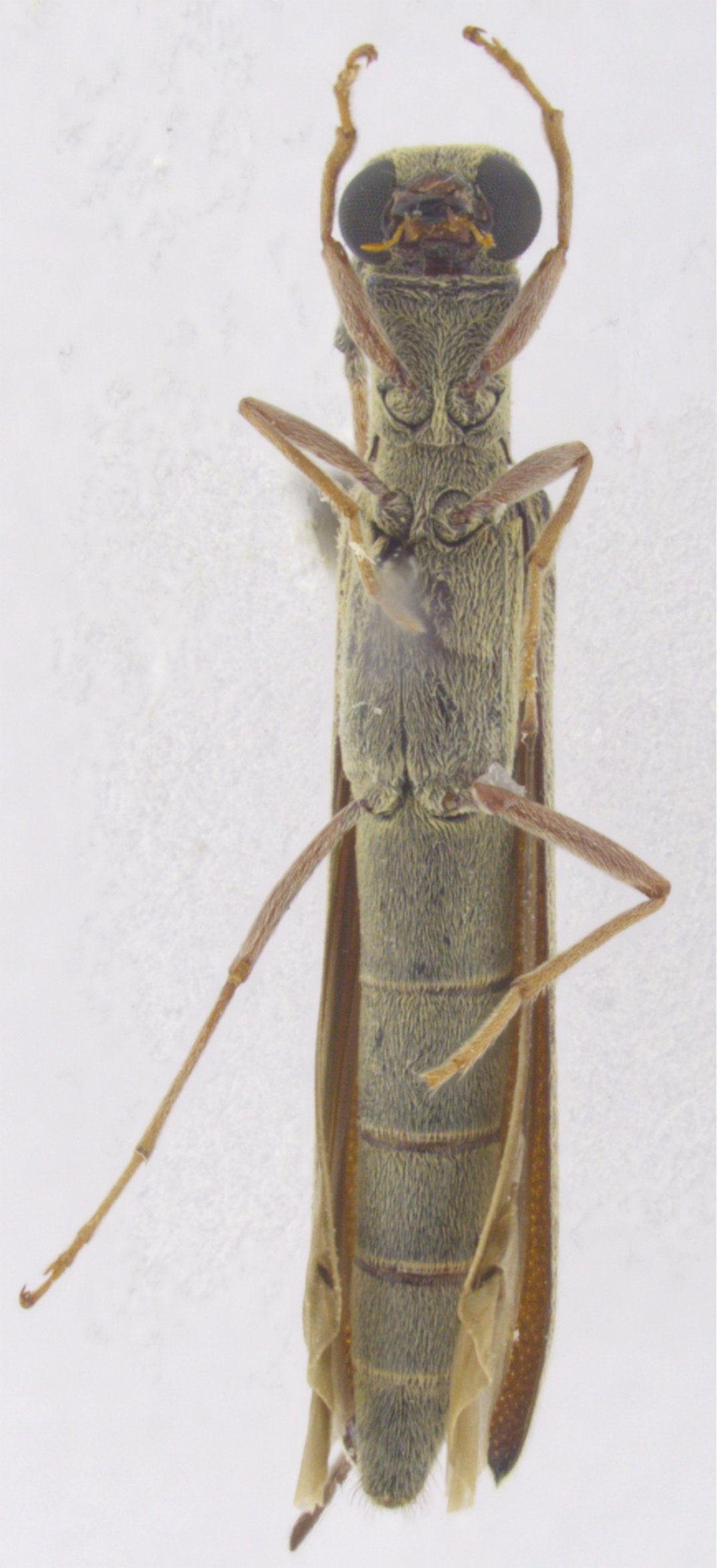
Specimen Type: holotype Sex: f Institution: MZFS Universidade Estadual de Feira de Santana, Bahia State, Brazil Photographer: Andre Ferreira Determiner: Zootaxa Collection Location: Cavunge, Ipecaeta, Bahia, Brazil 81159
|
 Ferreira_Andre Ferreira pic Bravo MZFS Cavunge, Ipecaeta, Bahia, Brazil.jpg)
Specimen Type: holotype Sex: f Institution: MZFS Universidade Estadual de Feira de Santana, Bahia State, Brazil Photographer: Andre Ferreira Determiner: Zootaxa Collection Location: Cavunge, Ipecaeta, Bahia, Brazil 81160
|
 Ferreira_Andre Ferreira pic Bravo MZFS Cavunge, Ipecaeta, Bahia, Brazil.jpg)
Specimen Type: holotype Sex: f Institution: MZFS Universidade Estadual de Feira de Santana, Bahia State, Brazil Photographer: Andre Ferreira Determiner: Zootaxa Collection Location: Cavunge, Ipecaeta, Bahia, Brazil 81161
|
|