 Ferreira_Andre Ferreira pic Bravo MZFS Faz Lagoa do Tamburi, Aracatu, Bahia, Brazil.jpg)
Specimen Type: holotype Sex: f Institution: MZFS Universidade Estadual de Feira de Santana, Bahia State, Brazil Photographer: Andre Ferreira Determiner: Zootaxa Collection Location: Faz Lagoa do Tamburi, Aracatu, Bahia, Brazil 81146
|
 Ferreira_Andre Ferreira pic Bravo MZFS Faz Lagoa do Tamburi, Aracatu, Bahia, Brazil.jpg)
Specimen Type: holotype Sex: f Institution: MZFS Universidade Estadual de Feira de Santana, Bahia State, Brazil Photographer: Andre Ferreira Determiner: Zootaxa Collection Location: Faz Lagoa do Tamburi, Aracatu, Bahia, Brazil 81147
|
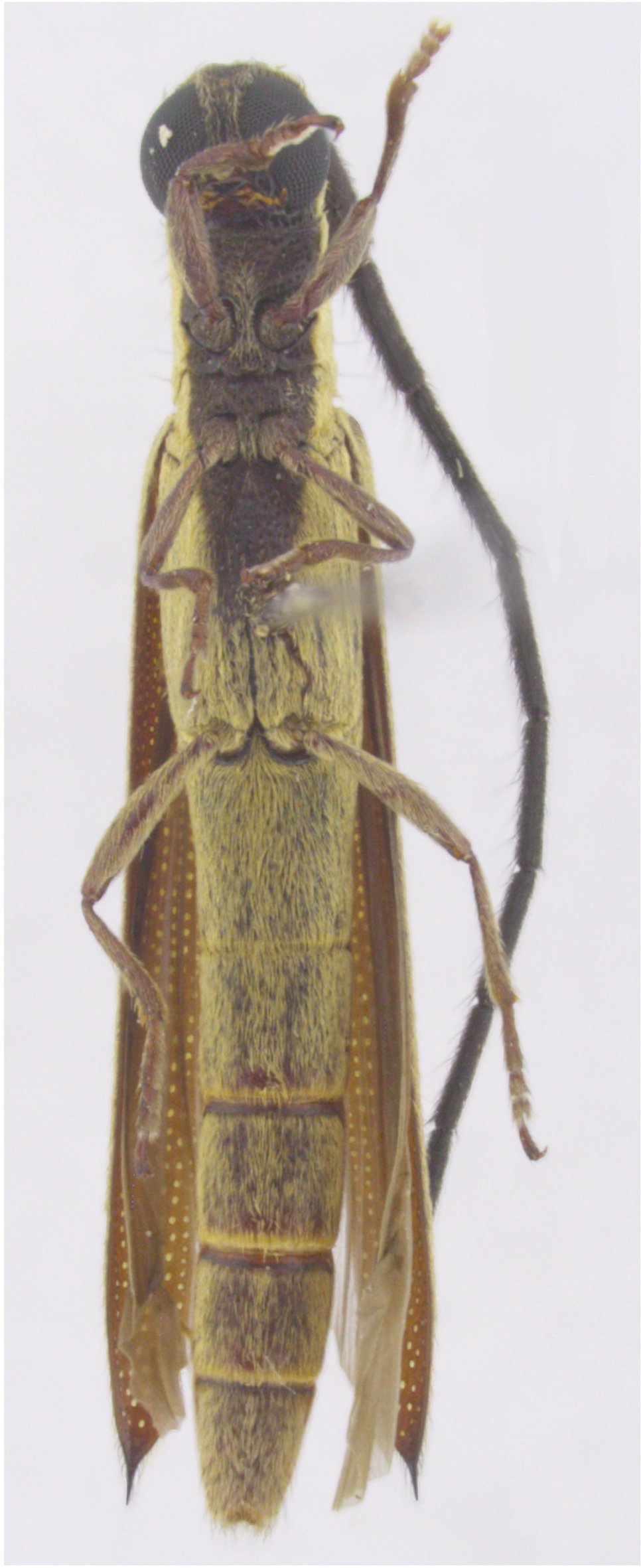
 Ferreira_Andre Ferreira pic Bravo MZFS Faz Lagoa do Tamburi, Aracatu, Bahia, Brazil.jpg)
Specimen Type: holotype Sex: f Institution: MZFS Universidade Estadual de Feira de Santana, Bahia State, Brazil Photographer: Andre Ferreira Determiner: Zootaxa Collection Location: Faz Lagoa do Tamburi, Aracatu, Bahia, Brazil 81148
|
|