 Bez SS Bot CASC 9.1-10 km N Ocozocoautla, Chiapas, Mexico.jpg)
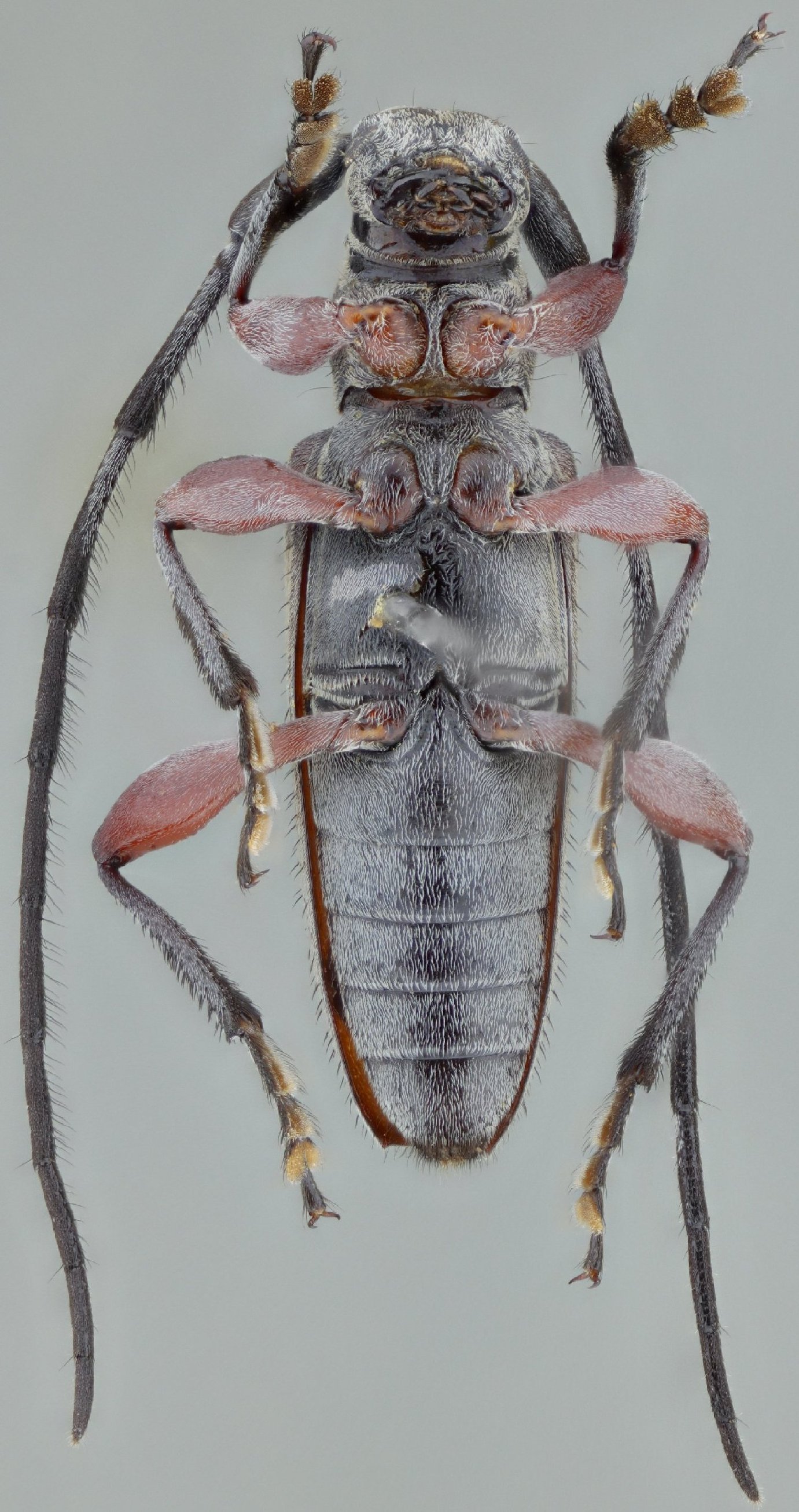
Specimen Type: holotype Sex: m Institution: CAS California Academy of Sciences, San Francisco, CA, USA Photographer: Antonio Santos-Silva Collection Location: 9.1-10 km N Ocozocoautla, Chiapas, Mexico 81025
|
 Bez SS Bot CASC 9.1-10 km N Ocozocoautla, Chiapas, Mexico.jpg)
Specimen Type: holotype Sex: m Institution: CAS California Academy of Sciences, San Francisco, CA, USA Photographer: Antonio Santos-Silva Collection Location: 9.1-10 km N Ocozocoautla, Chiapas, Mexico 81026
|
 Bez SS Bot CASC 9.1-10 km N Ocozocoautla, Chiapas, Mexico.jpg)
Specimen Type: holotype Sex: m Institution: CAS California Academy of Sciences, San Francisco, CA, USA Photographer: Antonio Santos-Silva Collection Location: 9.1-10 km N Ocozocoautla, Chiapas, Mexico 81027
|
 Bez SS Bot CASC 9.1-10 km N Ocozocoautla, Chiapas, Mexico.jpg)
Specimen Type: holotype Sex: m Institution: CAS California Academy of Sciences, San Francisco, CA, USA Photographer: Antonio Santos-Silva Collection Location: 9.1-10 km N Ocozocoautla, Chiapas, Mexico 81028
|
|