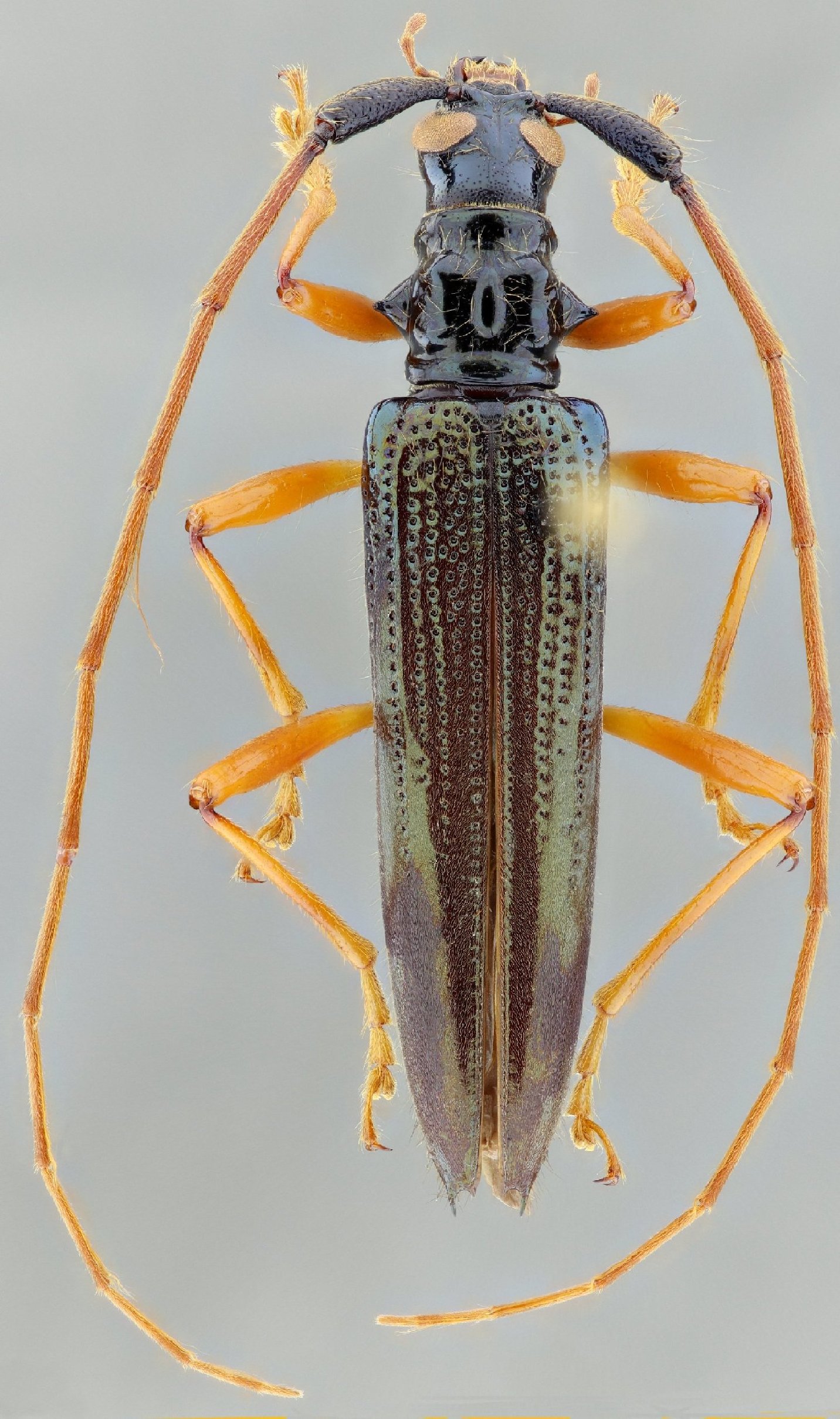
 Bez SS Bot CASC Parque Nac Pico Pijol, Linda Vista, Yoro, Honduras.jpg)
Specimen Type: holotype Sex: f Institution: CAS California Academy of Sciences, San Francisco, CA, USA Photographer: Antonio Santos-Silva Collection Location: Parque Nacional Pico Pijol, Linda Vista, Yoro, Honduras 81037
|
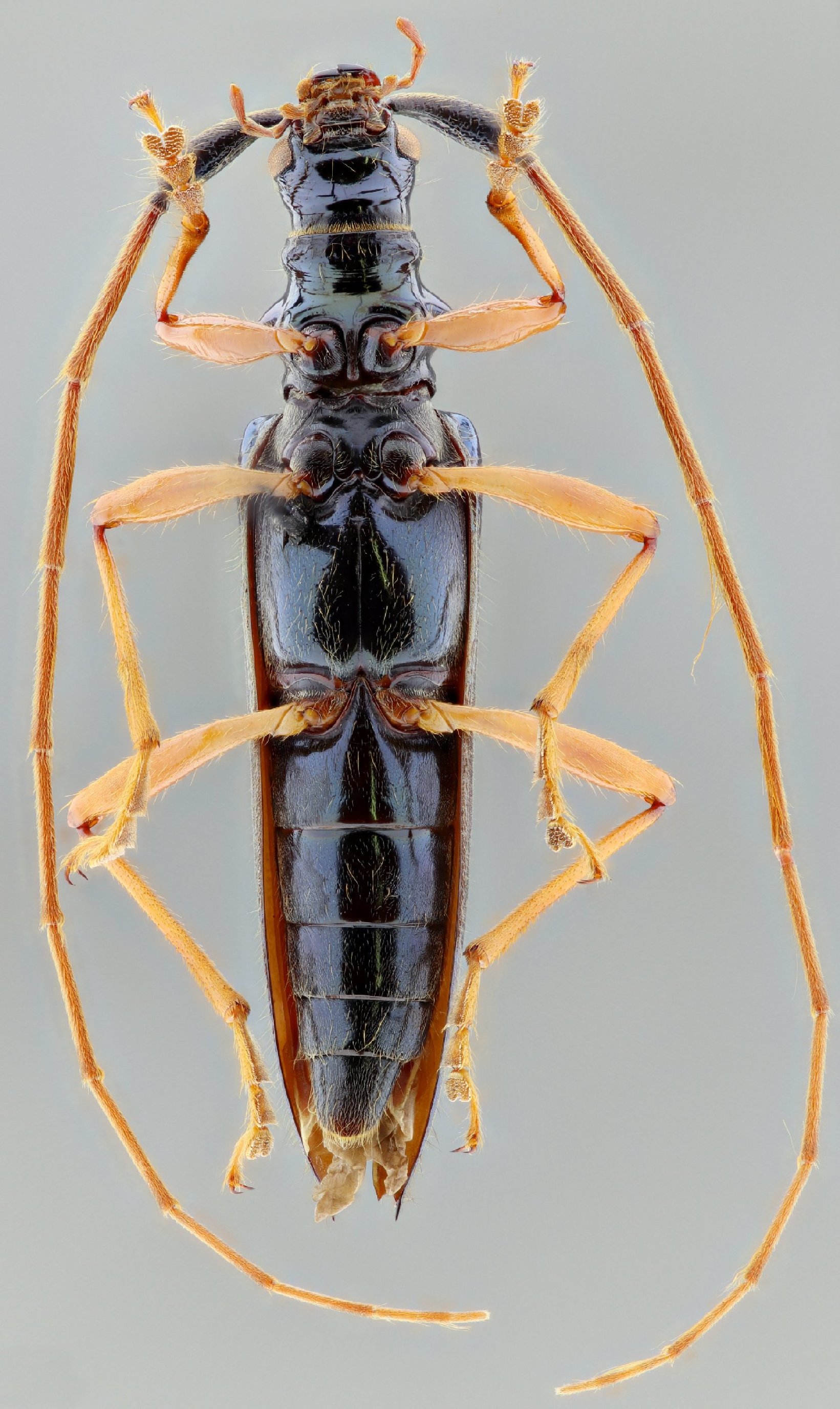
 Bez SS Bot CASC Parque Nac Pico Pijol, Linda Vista, Yoro, Honduras.jpg)
Specimen Type: holotype Sex: f Institution: CAS California Academy of Sciences, San Francisco, CA, USA Photographer: Antonio Santos-Silva Collection Location: Parque Nacional Pico Pijol, Linda Vista, Yoro, Honduras 81038
|
 Bez SS Bot CASC Parque Nac Pico Pijol, Linda Vista, Yoro, Honduras.jpg)
Specimen Type: holotype Sex: f Institution: CAS California Academy of Sciences, San Francisco, CA, USA Photographer: Antonio Santos-Silva Collection Location: Parque Nacional Pico Pijol, Linda Vista, Yoro, Honduras 81039
|
 Bez SS Bot CASC Parque Nac Pico Pijol, Linda Vista, Yoro, Honduras.jpg)
Specimen Type: holotype Sex: f Institution: CAS California Academy of Sciences, San Francisco, CA, USA Photographer: Antonio Santos-Silva Collection Location: Parque Nacional Pico Pijol, Linda Vista, Yoro, Honduras 81040
|
|