 Roguet coll pk 52 Patawa, Kaw, French Guiana add website.jpg)
Specimen Type: holotype Sex: m Institution: Roguet Collection Photographer: JP Roguet, https://lamiinae.org Collection Location: pk 52 Patawa, Kaw, French Guiana 80884
|
 Roguet coll pk 52 Patawa, Kaw, French Guiana.jpg)
Specimen Type: holotype Sex: m Institution: Roguet Collection Photographer: Jean-Philippe Roguet Collection Location: pk 52 Patawa, Kaw, French Guiana 80885
|
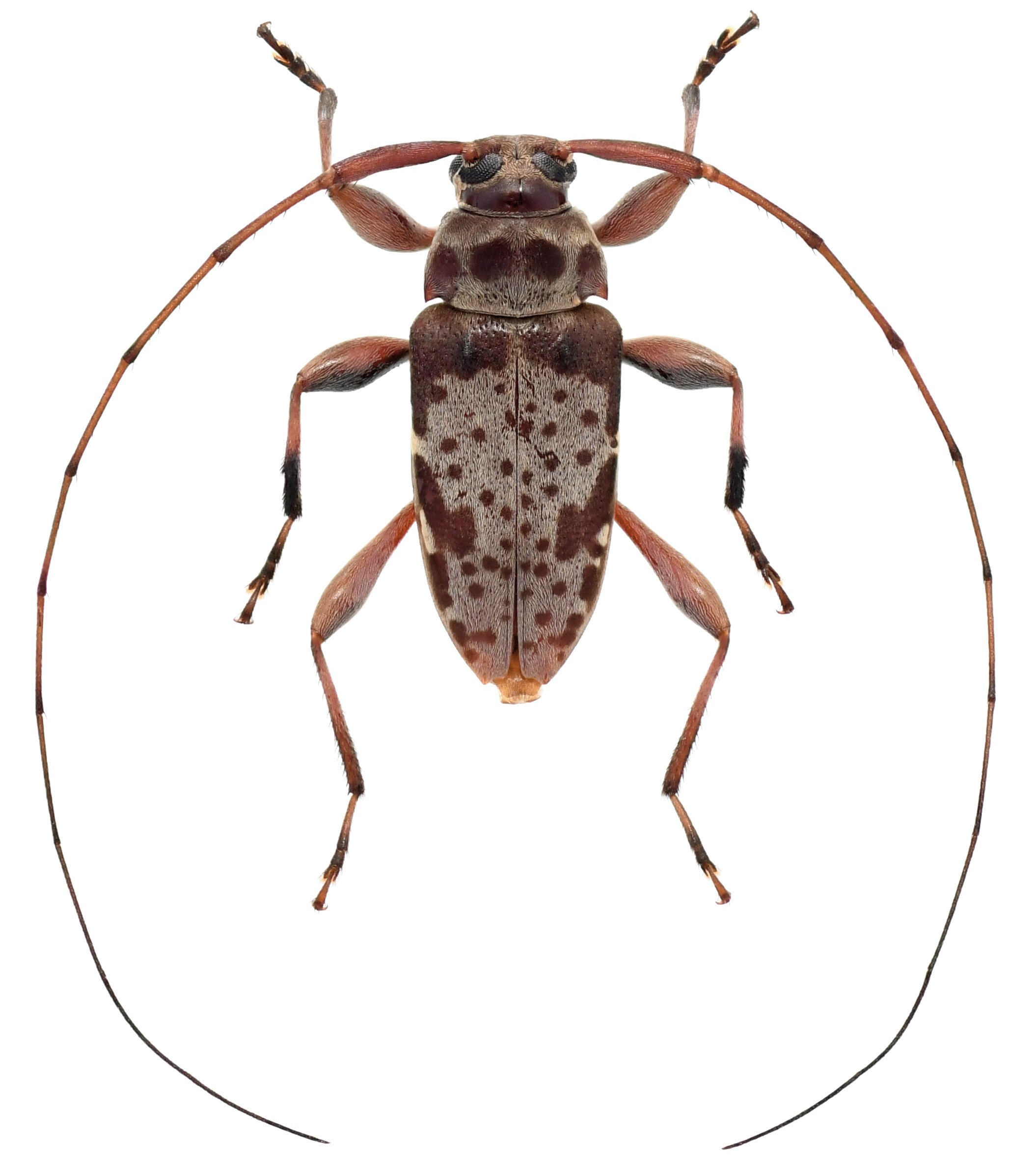
 Roguet coll pk 52 Patawa, Kaw, French Guiana.jpg)
Specimen Type: holotype Sex: m Institution: Roguet Collection Photographer: Jean-Philippe Roguet Collection Location: pk 52 Patawa, Kaw, French Guiana 80886
|
 Roguet coll pk 52 Patawa, Kaw, French Guiana.jpg)
Specimen Type: holotype Sex: m Institution: Roguet Collection Photographer: Jean-Philippe Roguet Collection Location: pk 52 Patawa, Kaw, French Guiana 80887
|
|