 Roguet coll Bagne des Annamites trail, Montsinery-Tonnegrande, FG add website.jpg)
Specimen Type: holotype Sex: m Institution: Roguet Collection Photographer: JP Roguet, https://lamiinae.org Collection Location: Bagne des Annamites trail, Montsinery-Tonnegrande, French Guiana 80880
|
 Roguet coll Bagne des Annamites trail, Montsinery-Tonnegrande, FG.jpg)
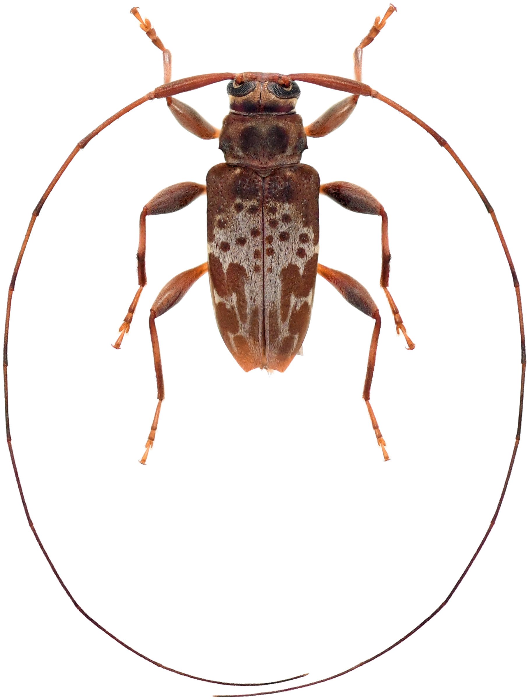
Specimen Type: holotype Sex: m Institution: Roguet Collection Photographer: Jean-Philippe Roguet Collection Location: Bagne des Annamites trail, Montsinery-Tonnegrande, French Guiana 80881
|
 Roguet coll Bagne des Annamites trail, Montsinery-Tonnegrande, FG.jpg)
Specimen Type: holotype Sex: m Institution: Roguet Collection Photographer: Jean-Philippe Roguet Collection Location: Bagne des Annamites trail, Montsinery-Tonnegrande, French Guiana 80882
|
 Roguet coll Bagne des Annamites trail, Montsinery-Tonnegrande, FG.jpg)
Specimen Type: holotype Sex: m Institution: Roguet Collection Photographer: Jean-Philippe Roguet Collection Location: Bagne des Annamites trail, Montsinery-Tonnegrande, French Guiana 80883
|
|