 Heff Bot SS CNIN El Vidrio, Oaxaca, Mexico SS.jpg)
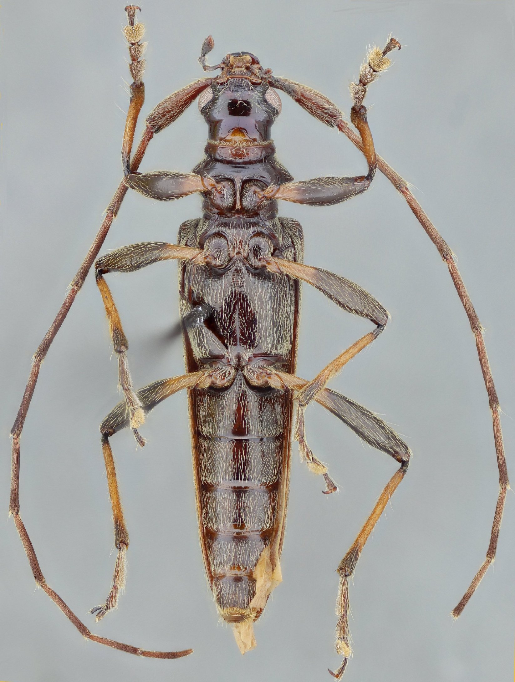
Specimen Type: holotype Sex: m Institution: CNIN Colección Nacional de Insectos, Instituto de Biología (UNAM), Mexico City, Mexico Photographer: Antonio Santos-Silva Collection Location: El Vidrio, Oaxaca, Mexico 80752
|
 Heff Bot SS CNIN El Vidrio, Oaxaca, Mexico SS.jpg)
Specimen Type: holotype Sex: m Institution: CNIN Colección Nacional de Insectos, Instituto de Biología (UNAM), Mexico City, Mexico Photographer: Antonio Santos-Silva Collection Location: El Vidrio, Oaxaca, Mexico 80753
|
 Heff Bot SS CNIN El Vidrio, Oaxaca, Mexico SS.jpg)
Specimen Type: holotype Sex: m Institution: CNIN Colección Nacional de Insectos, Instituto de Biología (UNAM), Mexico City, Mexico Photographer: Antonio Santos-Silva Collection Location: El Vidrio, Oaxaca, Mexico 80754
|
 Heff Bot SS CNIN El Vidrio, Oaxaca, Mexico SS.jpg)
Specimen Type: holotype Sex: m Institution: CNIN Colección Nacional de Insectos, Instituto de Biología (UNAM), Mexico City, Mexico Photographer: Antonio Santos-Silva Collection Location: El Vidrio, Oaxaca, Mexico 80755
|
|