 Vlasak SS MZSP Nanegal, Pichincha, Ecuador SS.jpg)
Specimen Type: holotype Sex: m Institution: MZSP Museu de Zoologia da Universidade de São Paulo, Brazil Photographer: Antonio Santos-Silva Collection Location: Nanegal, Pichincha, Ecuador 80502
|
 Vlasak SS MZSP Nanegal, Pichincha, Ecuador SS.jpg)
Specimen Type: holotype Sex: m Institution: MZSP Museu de Zoologia da Universidade de São Paulo, Brazil Photographer: Antonio Santos-Silva Collection Location: Nanegal, Pichincha, Ecuador 80503
|
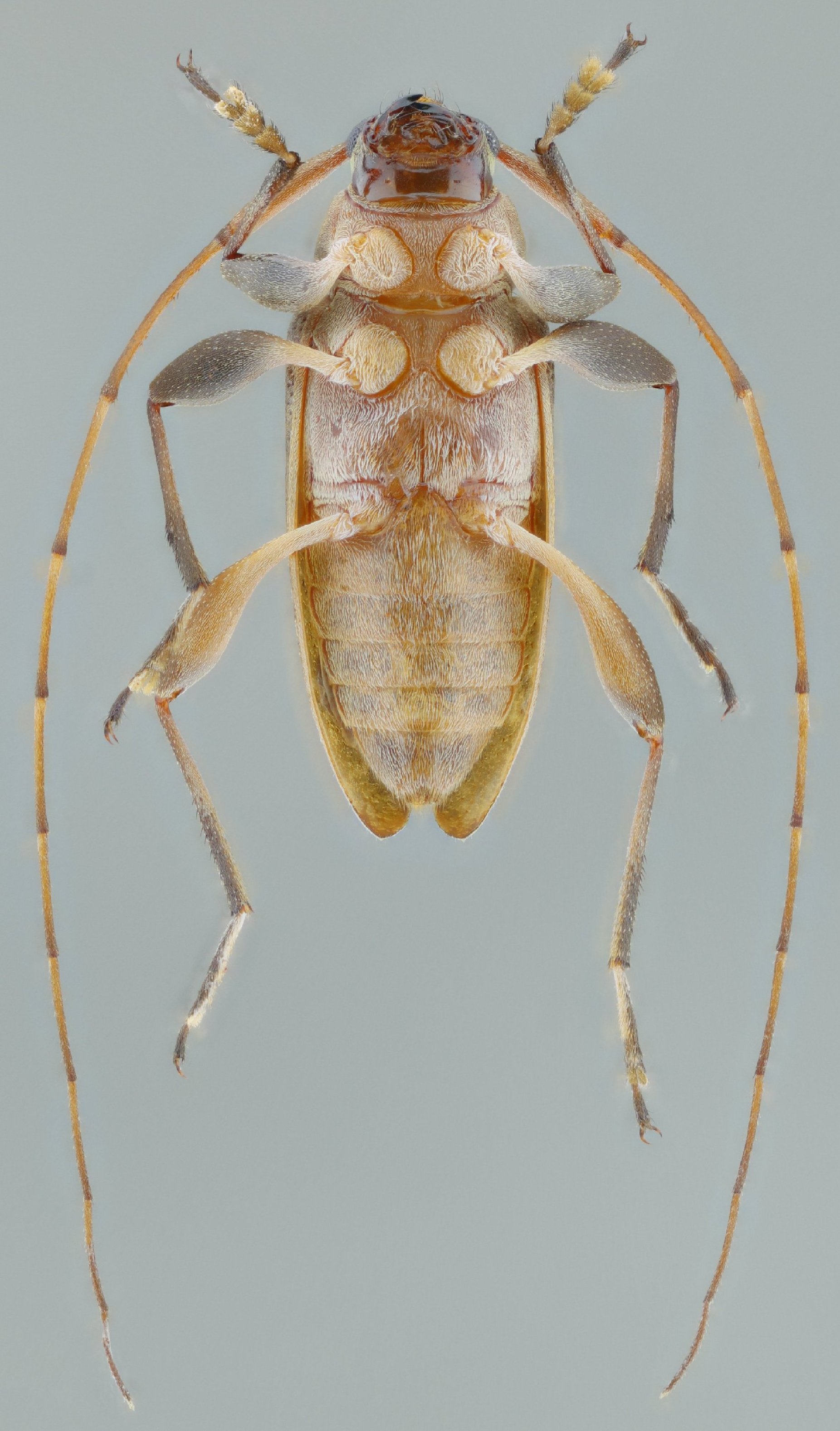
 Vlasak SS MZSP Nanegal, Pichincha, Ecuador SS.jpg)
Specimen Type: holotype Sex: m Institution: MZSP Museu de Zoologia da Universidade de São Paulo, Brazil Photographer: Antonio Santos-Silva Collection Location: Nanegal, Pichincha, Ecuador 80504
|
 Vlasak SS MZSP Nanegal, Pichincha, Ecuador SS.jpg)
Specimen Type: holotype Sex: m Institution: MZSP Museu de Zoologia da Universidade de São Paulo, Brazil Photographer: Antonio Santos-Silva Collection Location: Nanegal, Pichincha, Ecuador 80505
|
|