 Bez SS CAS Purulha, Hotel Ranchito de Quetzal, Baja Verapaz, Guatemala SS.jpg)
Specimen Type: holotype Sex: m Institution: CAS California Academy of Sciences, San Francisco, CA, USA Photographer: Antonio Santos-Silva Collection Location: Purulha, Hotel Ranchito de Quetzal, Baja Verapaz, Guatemala 80116
|
 Bez SS CAS Purulha, Hotel Ranchito de Quetzal, Baja Verapaz, Guatemala SS.jpg)
Specimen Type: holotype Sex: m Institution: CAS California Academy of Sciences, San Francisco, CA, USA Photographer: Antonio Santos-Silva Collection Location: Purulha, Hotel Ranchito de Quetzal, Baja Verapaz, Guatemala 80117
|
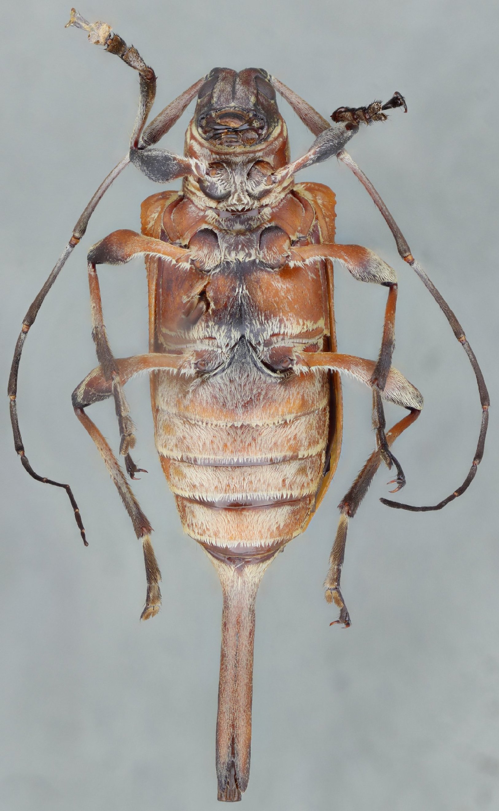
 Bez SS CAS Purulha, Hotel Ranchito de Quetzal, Baja Verapaz, Guatemala SS.jpg)
Specimen Type: holotype Sex: m Institution: CAS California Academy of Sciences, San Francisco, CA, USA Photographer: Antonio Santos-Silva Collection Location: Purulha, Hotel Ranchito de Quetzal, Baja Verapaz, Guatemala 80118
|
 Bez SS CAS Purulha, Hotel Ranchito de Quetzal, Baja Verapaz, Guatemala SS.jpg)
Specimen Type: holotype Sex: m Institution: CAS California Academy of Sciences, San Francisco, CA, USA Photographer: Antonio Santos-Silva Collection Location: Purulha, Hotel Ranchito de Quetzal, Baja Verapaz, Guatemala 80119
|
 Bez SS WHTC 3 km S Purulha, Baja Verapaz, Guatemala SS.jpg)
Specimen Type: paratype Sex: f Institution: WHTC William H. Tyson Collection, Coarsegold, California, USA Photographer: Antonio Santos-Silva Collection Location: 3 km S Purulha, Baja Verapaz, Guatemala 80120
|
 Bez SS WHTC 3 km S Purulha, Baja Verapaz, Guatemala SS.jpg)
Specimen Type: paratype Sex: f Institution: WHTC William H. Tyson Collection, Coarsegold, California, USA Photographer: Antonio Santos-Silva Collection Location: 3 km S Purulha, Baja Verapaz, Guatemala 80121
|
|