New Search Family, Subfamily and Tribe List

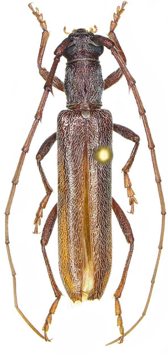
SubFamily Cerambycinae

Tribe Elaphidiini
Aneflomorpha paralinearis Lingafelter 2022

Specimen Type: holotype
Institution: NMNH United States National Museum, Washington, DC, USA
Photographer: Steve Lingafelter
Collection Location: Lower Ida Canyon, Hereford, Cochise County, Arizona
80015

130425