New Search Family, Subfamily and Tribe List

SubFamily Cerambycinae

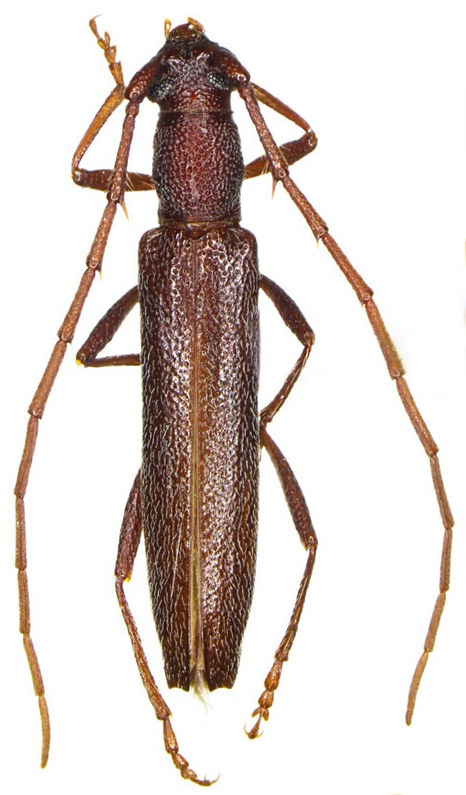
Tribe Elaphidiini
Aneflomorpha crypta Lingafelter 2022

Specimen Type: holotype
Sex: m
Institution: NMNH United States National Museum, Washington, DC, USA
Photographer: Steve Lingafelter
Collection Location: Bryerly Court, Hereford, Cochise County, Arizona
80010

130425