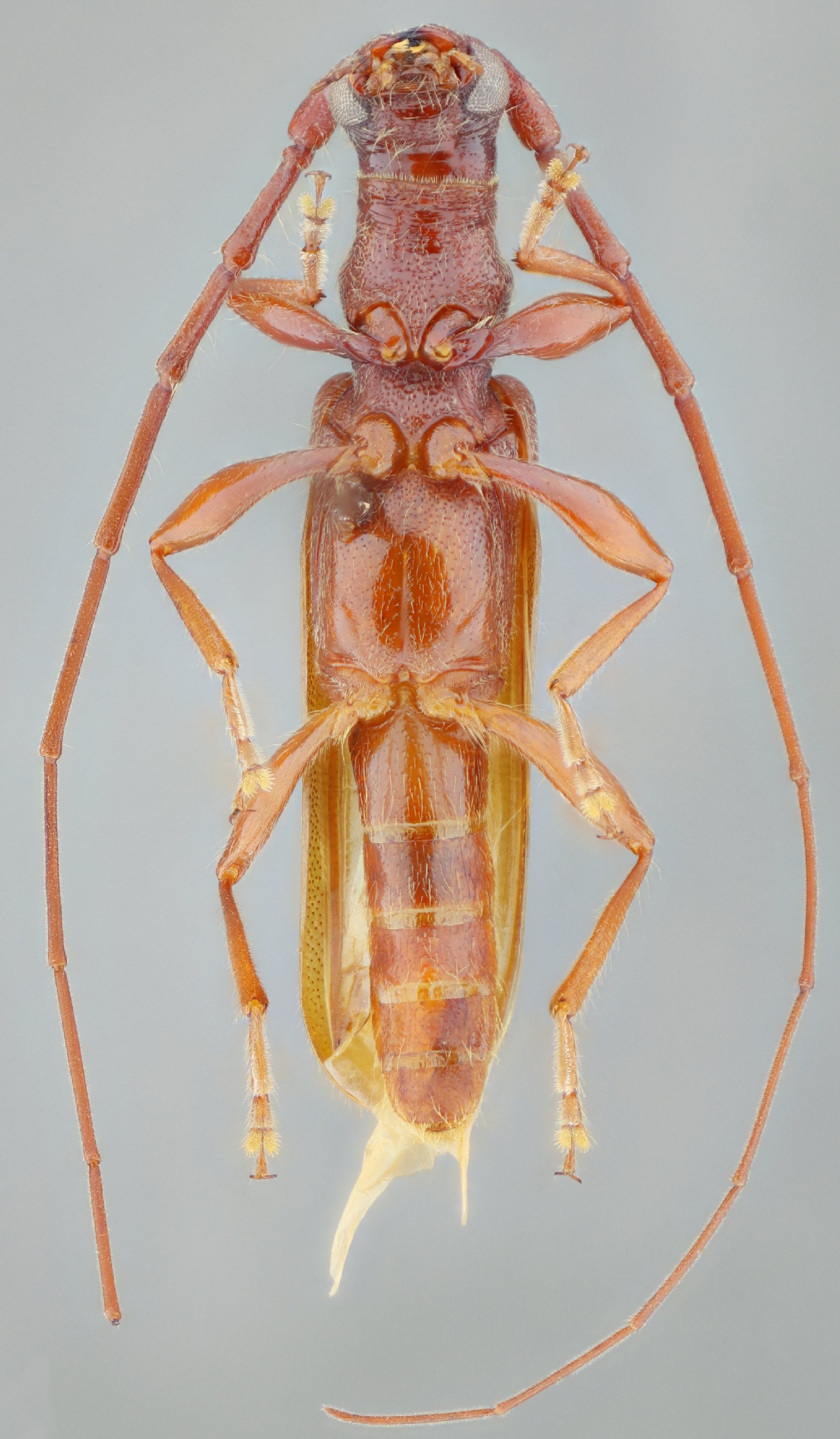
 Bez SS CAS S La Poza, La Rosita, Nuevo Leon, Mexico SS.jpg)
Specimen Type: holotype Sex: m Institution: CAS California Academy of Sciences, San Francisco, CA, USA Photographer: Antonio Santos-Silva Collection Location: S La Poza, La Rosita, Nuevo Leon, Mexico 79893
|
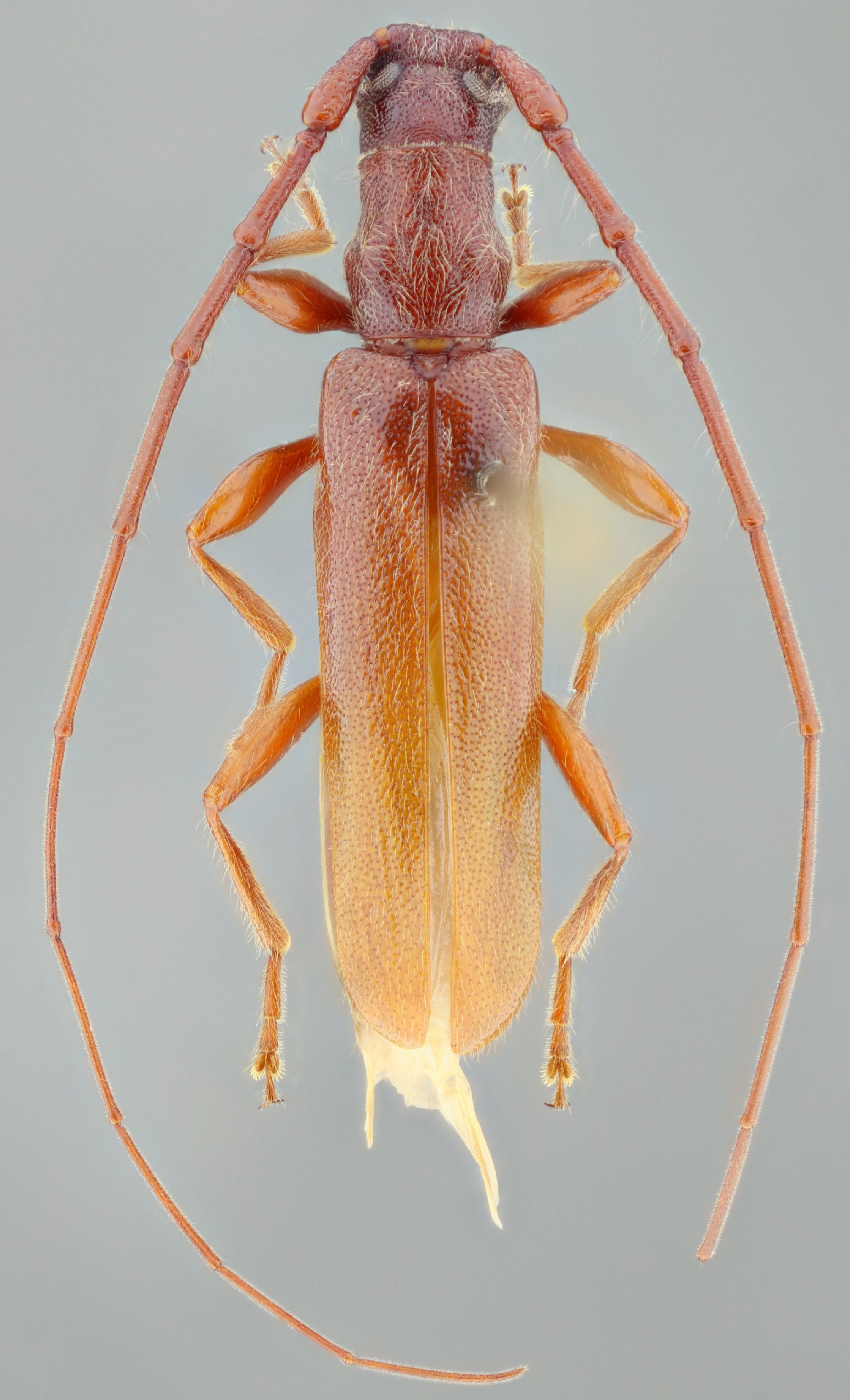
 Bez SS CAS S La Poza, La Rosita, Nuevo Leon, Mexico SS.jpg)
Specimen Type: holotype Sex: m Institution: CAS California Academy of Sciences, San Francisco, CA, USA Photographer: Antonio Santos-Silva Collection Location: S La Poza, La Rosita, Nuevo Leon, Mexico 79894
|
 Bez SS CAS S La Poza, La Rosita, Nuevo Leon, Mexico SS.jpg)
Specimen Type: holotype Sex: m Institution: CAS California Academy of Sciences, San Francisco, CA, USA Photographer: Antonio Santos-Silva Collection Location: S La Poza, La Rosita, Nuevo Leon, Mexico 79895
|
 Bez SS CAS S La Poza, La Rosita, Nuevo Leon, Mexico SS.jpg)
Specimen Type: holotype Sex: m Institution: CAS California Academy of Sciences, San Francisco, CA, USA Photographer: Antonio Santos-Silva Collection Location: S La Poza, La Rosita, Nuevo Leon, Mexico 79896
|
|