New Search Family, Subfamily and Tribe List

SubFamily Lamiinae

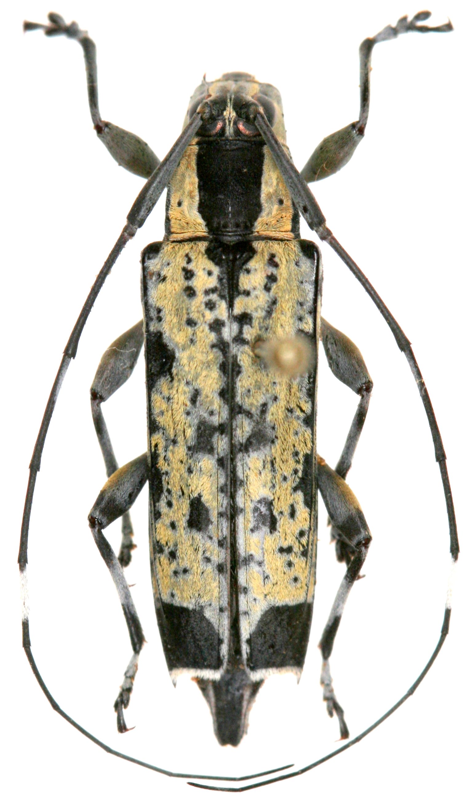
Tribe Colobotheini
Colobothea pascoensis Audureau 2022

Specimen Type: holotype
Sex: m
Institution: Audureau Collection
Photographer: Alain Audureau
Collection Location: Pozuzo, Oxapampa Province, Pasco, Peru
79855

130425