New Search Family, Subfamily and Tribe List

SubFamily Lamiinae

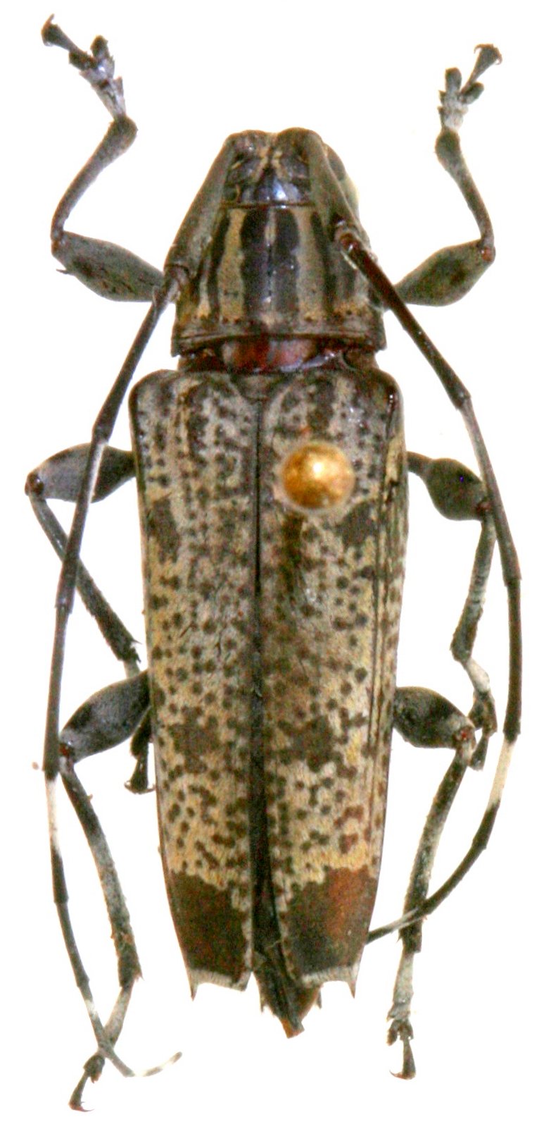
Tribe Colobotheini
Colobothea cinerea Audureau 2022

Specimen Type: holotype
Sex: f
Institution: Audureau Collection
Photographer: Alain Audureau
Collection Location: Juanjui, Mariscal Caceres Province, San Martin, Peru
79854

130425