 Roguet coll PK 36 Montagne de Kaw, French Guiana.jpg)
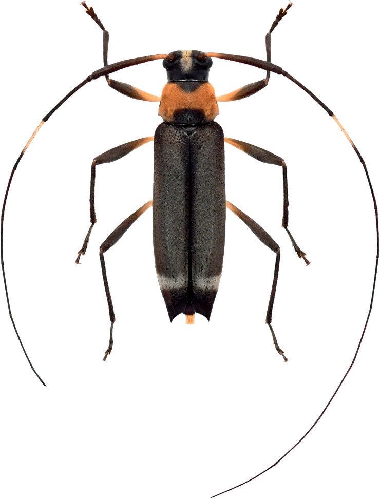
Specimen Type: holotype Sex: f Institution: Roguet Collection Photographer: JP Roguet, https://lamiinae.org Collection Location: pk 36 Montagne de Kaw, French Guiana 79867
|
 Roguet coll pk 36 Montagne de Kaw, French Guiana.jpg)
Specimen Type: holotype Sex: f Institution: Roguet Collection Photographer: Jean-Philippe Roguet Collection Location: pk 36 Montagne de Kaw, French Guiana 80844
|