 Tour Poirier replacement.jpg)
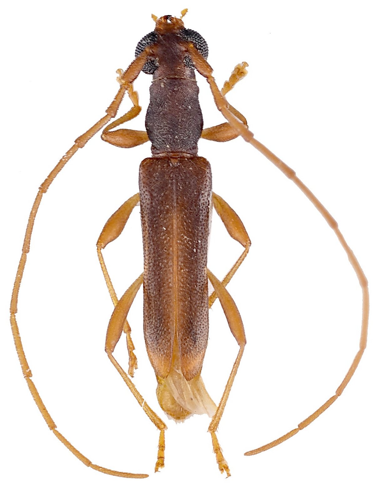
Specimen Type: holotype Sex: m Institution: MNHN Museum of Natural History Paris, France Photographer: Julien Touroult Collection Location: Riviere-Pilote, Morne Aca, Martinique, Lesser Antilles 79761
|
 Tour Poirier.jpg)
Specimen Type: paratype Sex: m Institution: Touroult Collection Photographer: Julien Touroult Collection Location: Riviere-Pilote, Morne Aca, Martinique, Lesser Antilles 79762
|