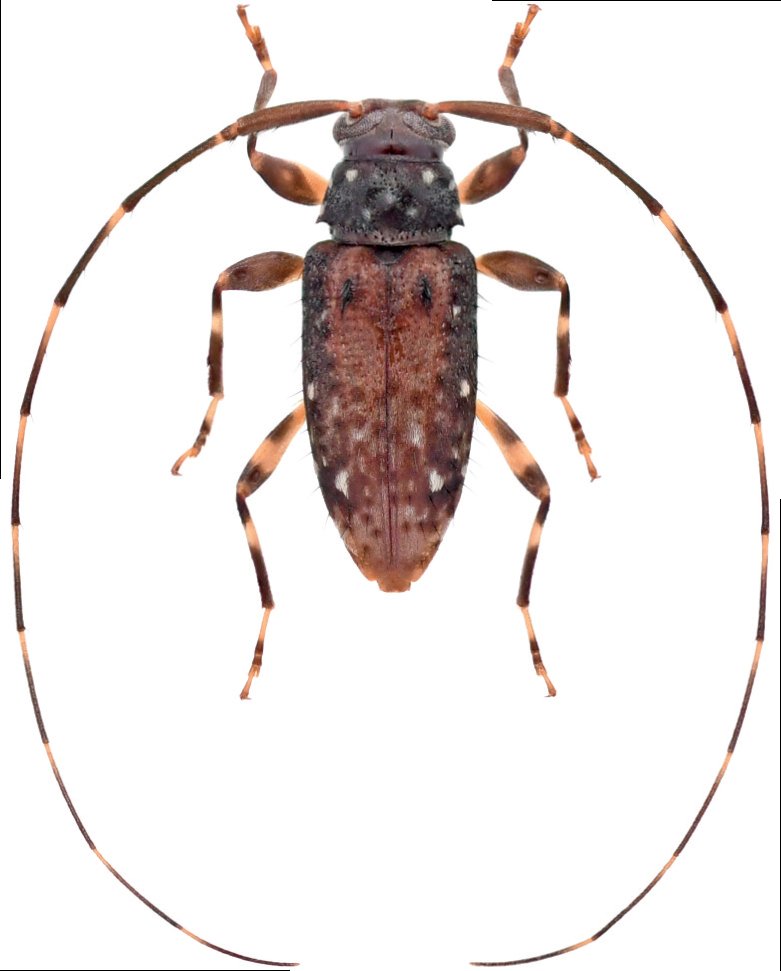
 Roguet coll Montagne de Kaw PK 38, French Guiana.jpg)
Specimen Type: holotype Sex: f Institution: Roguet Collection Photographer: JP Roguet, https://lamiinae.org Collection Location: Montagne de Kaw PK 38, French Guiana 79751
|
 Roguet coll pk 38 Montagne de Kaw, French Guiana.jpg)
Specimen Type: holotype Sex: f Institution: Roguet Collection Photographer: Jean-Philippe Roguet Collection Location: pk 38 Montagne de Kaw, French Guiana 80856
|