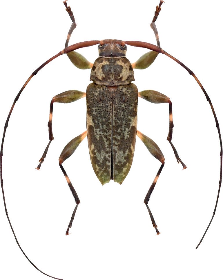
 Roguet coll Piste Belizon, PK13 French Guiana.jpg)
Specimen Type: holotype Sex: m Institution: Roguet Collection Photographer: JP Roguet, https://lamiinae.org Collection Location: Piste Belizon, PK13 French Guiana 79748
|
 Roguet coll pk 13 Piste Belizon, French Guiana.jpg)
Specimen Type: holotype Sex: m Institution: Roguet Collection Photographer: Jean-Philippe Roguet Collection Location: pk 13 Piste Belizon, French Guiana 80853
|