 Roguet coll Piste Belizon, French Guiana.jpg)
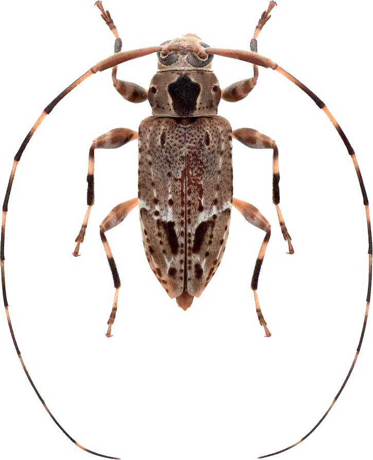
Specimen Type: holotype Sex: f Institution: Roguet Collection Photographer: JP Roguet, https://lamiinae.org Collection Location: Piste Belizon, French Guiana 79747
|
 Roguet coll Piste Belizon, French Guiana.jpg)
Specimen Type: holotype Sex: f Institution: Roguet Collection Photographer: Jean-Philippe Roguet Collection Location: Piste Belizon, French Guiana 80841
|