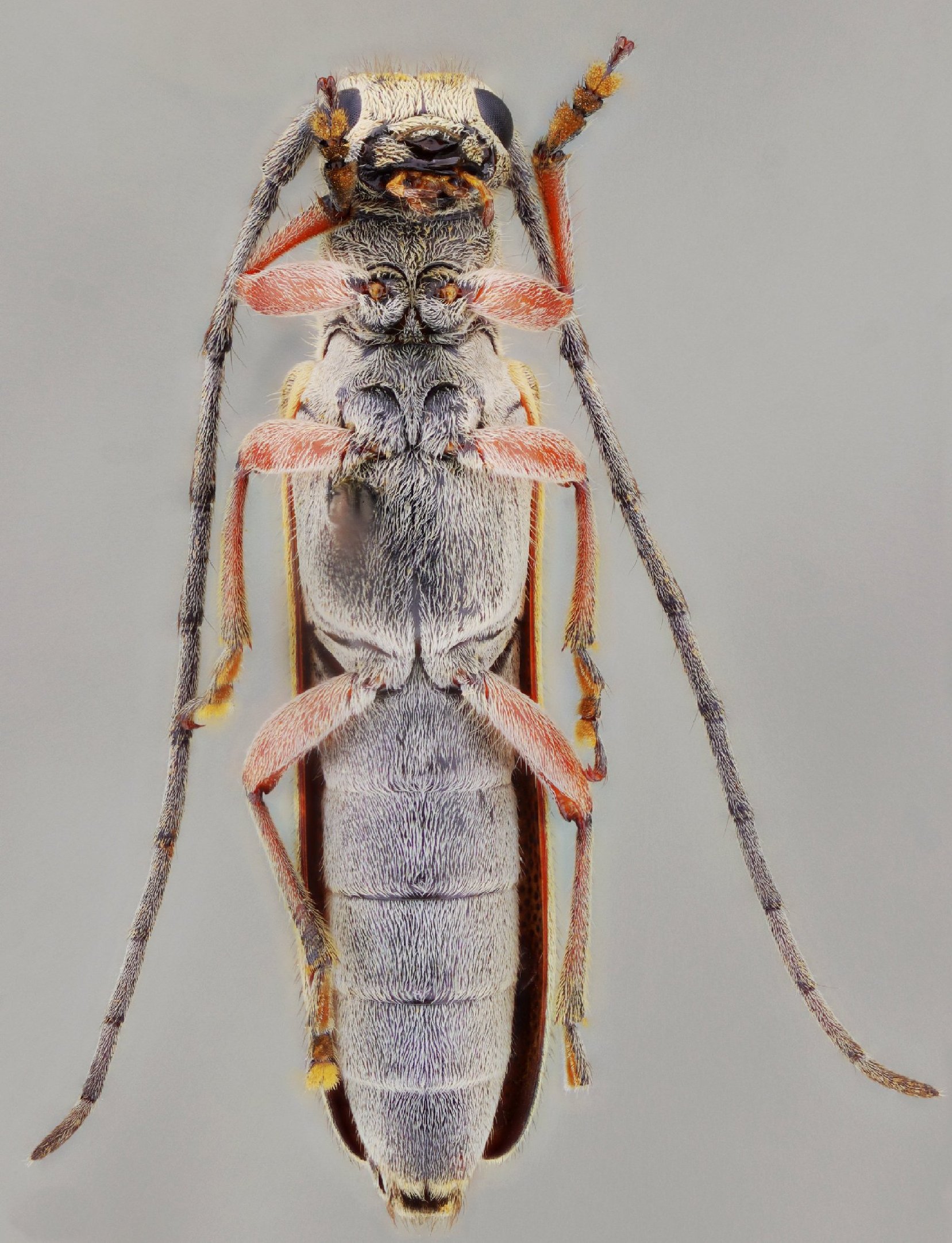
 SS Androw FSCA MX525 2.5 km S MX70, Jalisco, Mexico SS.jpg)
Specimen Type: holotype Sex: f Institution: FSCA Florida State Collection of Arthropods, Gainesville, FL, USA Photographer: Antonio Santos-Silva Collection Location: MX525 2.5 km S MX70, Jalisco, Mexico 78992
|
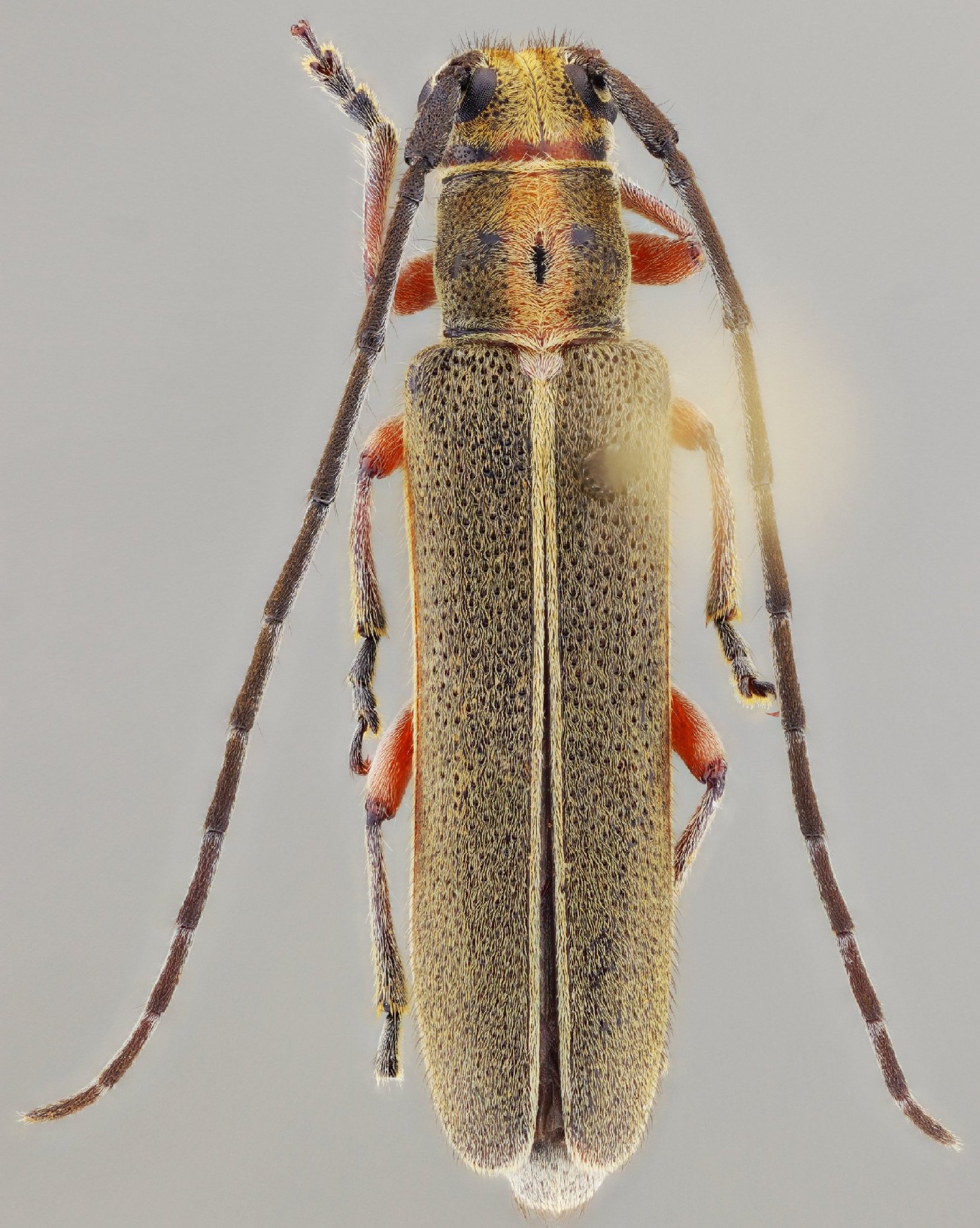
 SS Androw FSCA MX525 2.5 km S MX70, Jalisco, Mexico SS.jpg)
Specimen Type: holotype Sex: f Institution: FSCA Florida State Collection of Arthropods, Gainesville, FL, USA Photographer: Antonio Santos-Silva Collection Location: MX525 2.5 km S MX70, Jalisco, Mexico 78993
|
 SS Androw FSCA MX525 2.5 km S MX70, Jalisco, Mexico SS.jpg)
Specimen Type: holotype Sex: f Institution: FSCA Florida State Collection of Arthropods, Gainesville, FL, USA Photographer: Antonio Santos-Silva Collection Location: MX525 2.5 km S MX70, Jalisco, Mexico 78994
|
 SS Androw FSCA MX525 2.5 km S MX70, Jalisco, Mexico SS.jpg)
Specimen Type: holotype Sex: f Institution: FSCA Florida State Collection of Arthropods, Gainesville, FL, USA Photographer: Antonio Santos-Silva Collection Location: MX525 2.5 km S MX70, Jalisco, Mexico 78995
|
|