New Search Family, Subfamily and Tribe List

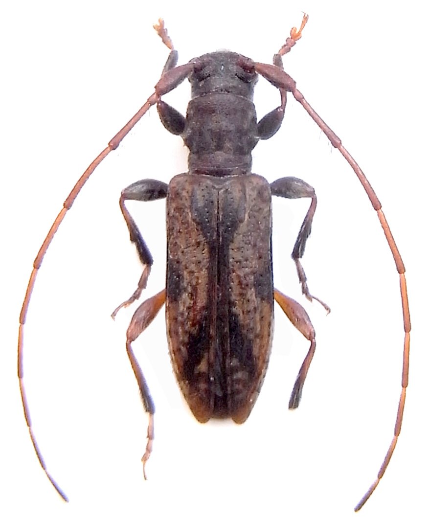
SubFamily Lamiinae

Tribe Desmiphorini
Clytosemia suturalis Gouverneur 2021

Specimen Type: holotype
Sex: m
Institution: Gouverneur Collection
Photographer: Xavier Gouverneur, Cerambycoidea Forum
Collection Location: Mount Phou Pan, Houaphan Province, NE Laos
79724

130425