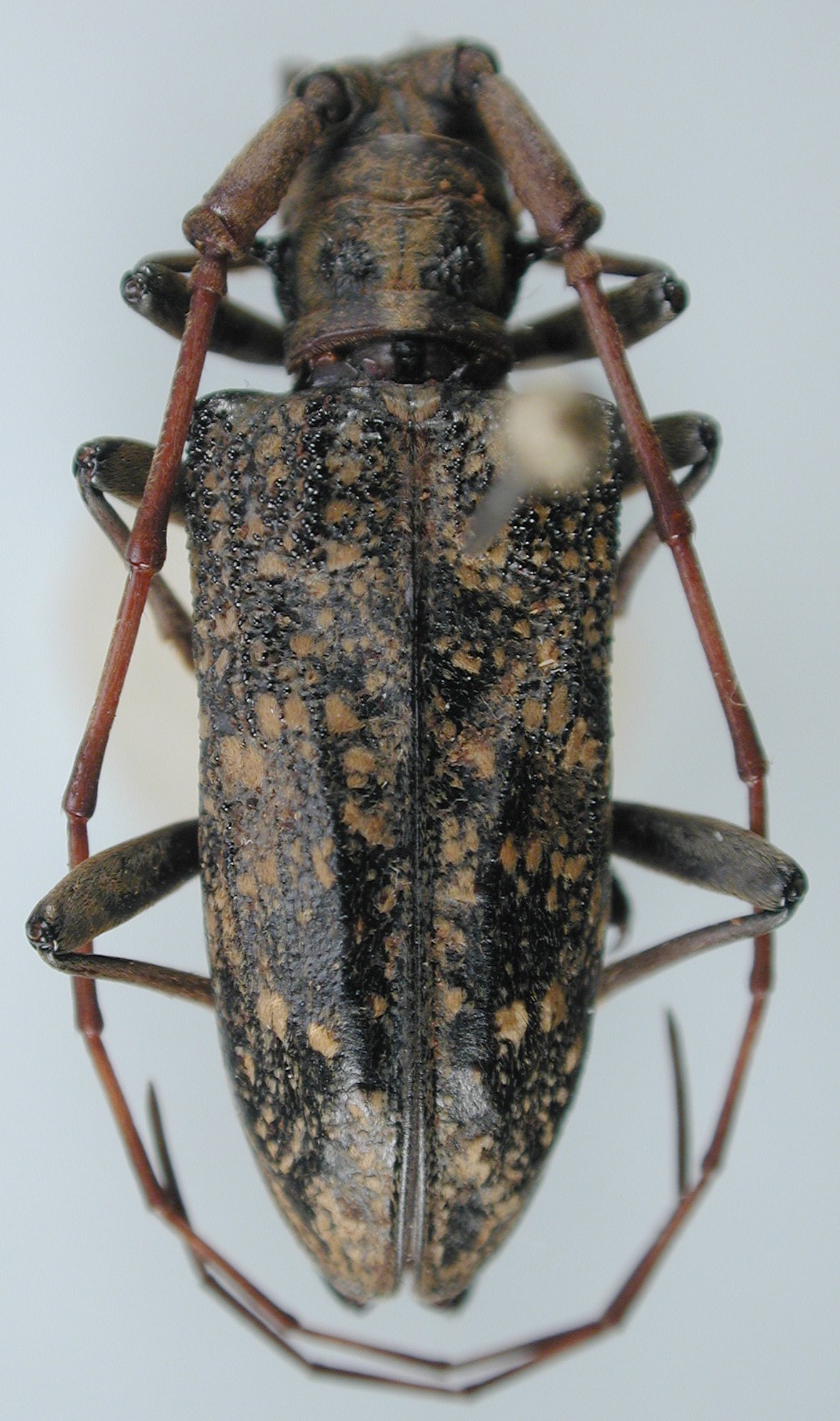
 Vit Gouv Yen Bai Province, Vietnam LGB det XG.jpg)
Sex: f Institution: LGBC Larry G. Bezark Collection, Sacramento, California, USA Photographer: Larry G. Bezark Determiner: Xavier Gouverneur, Cerambycoidea Forum Collection Location: Yen Bai Province, Vietnam 79569
|
 Vit Gouv Yen Bai Province, Vietnam LGB det XG.jpg)
Sex: f Institution: LGBC Larry G. Bezark Collection, Sacramento, California, USA Photographer: Larry G. Bezark Determiner: Xavier Gouverneur, Cerambycoidea Forum Collection Location: Yen Bai Province, Vietnam 79570
|