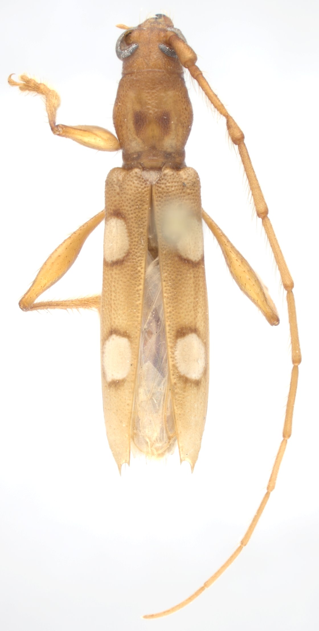
 Per-Flo SS UVGC Comunidad Bethel, Municip La Libertad, Peten, Guatemala.jpg)
Specimen Type: holotype Sex: m Institution: UVGC University of the Valley of Guatemala Collection, Guatemala Photographer: Oscar Perez-Flores Collection Location: Comunidad Bethel, Municipio La Libertad, Peten, Guatemala 79267
|
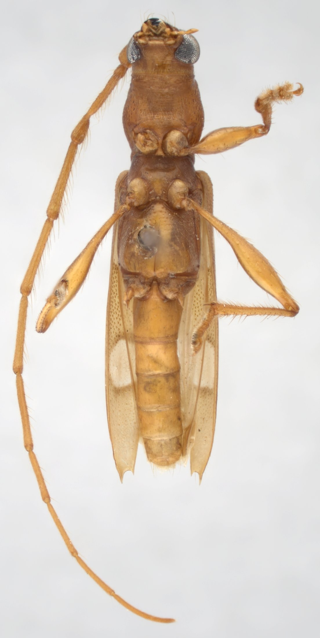
 Per-Flo SS UVGC Comunidad Bethel, Municip La Libertad, Peten, Guatemala.jpg)
Specimen Type: holotype Sex: m Institution: UVGC University of the Valley of Guatemala Collection, Guatemala Photographer: Oscar Perez-Flores Collection Location: Comunidad Bethel, Municipio La Libertad, Peten, Guatemala 79268
|
 Per-Flo SS UVGC Comunidad Bethel, Municip La Libertad, Peten, Guatemala.jpg)
Specimen Type: holotype Sex: m Institution: UVGC University of the Valley of Guatemala Collection, Guatemala Photographer: Oscar Perez-Flores Collection Location: Comunidad Bethel, Municipio La Libertad, Peten, Guatemala 79269
|
 Per-Flo SS UVGC Comunidad Bethel, Municip La Libertad, Peten, Guatemala.jpg)
Specimen Type: holotype Sex: m Institution: UVGC University of the Valley of Guatemala Collection, Guatemala Photographer: Oscar Perez-Flores Collection Location: Comunidad Bethel, Municipio La Libertad, Peten, Guatemala 79270
|
|