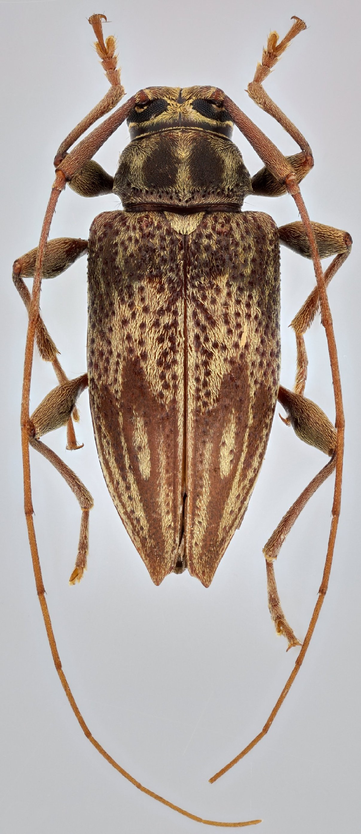
 Devesa SS MHNUSC Chinchina, Manizales, Caldas, Colombia SD.jpg)
Specimen Type: holotype Sex: f Institution: MNHUS Museu Nat Hist, Univ de Santiago de Compostela, Spain Photographer: Sergio Devesa Collection Location: Chinchina, Manizales, Caldas, Colombia 79212
|
 Devesa SS MHNUSC Chinchina, Manizales, Caldas, Colombia SD.jpg)
Specimen Type: holotype Sex: f Institution: MNHUS Museu Nat Hist, Univ de Santiago de Compostela, Spain Photographer: Sergio Devesa Collection Location: Chinchina, Manizales, Caldas, Colombia 79213
|
 Devesa SS MHNUSC Chinchina, Manizales, Caldas, Colombia SD.jpg)
Specimen Type: holotype Sex: f Institution: MNHUS Museu Nat Hist, Univ de Santiago de Compostela, Spain Photographer: Sergio Devesa Collection Location: Chinchina, Manizales, Caldas, Colombia 79214
|
 Devesa SS MHNUSC Chinchina, Manizales, Caldas, Colombia SD.jpg)
Specimen Type: holotype Sex: f Institution: MNHUS Museu Nat Hist, Univ de Santiago de Compostela, Spain Photographer: Sergio Devesa Collection Location: Chinchina, Manizales, Caldas, Colombia 79215
|
|