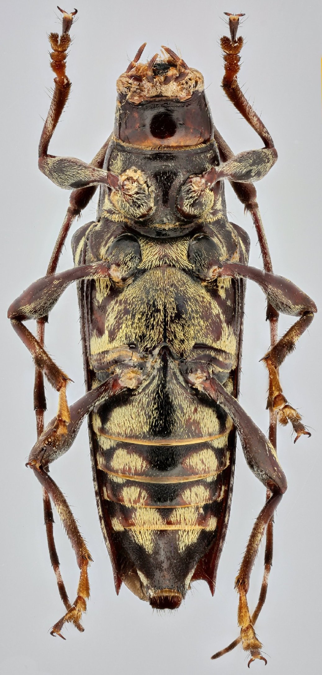
 Devesa SS MHNUSC Playa Rica, Rio Garrapatas, Valle del Cauca, Colombia SD.jpg)
Specimen Type: holotype Sex: f Institution: MNHUS Museu Nat Hist, Univ de Santiago de Compostela, Spain Photographer: Sergio Devesa Collection Location: Playa Rica, Rio Garrapatas, Valle del Cauca, Colombia 79208
|
 Devesa SS MHNUSC Playa Rica, Rio Garrapatas, Valle del Cauca, Colombia SD.jpg)
Specimen Type: holotype Sex: f Institution: MNHUS Museu Nat Hist, Univ de Santiago de Compostela, Spain Photographer: Sergio Devesa Collection Location: Playa Rica, Rio Garrapatas, Valle del Cauca, Colombia 79209
|
 Devesa SS MHNUSC Playa Rica, Rio Garrapatas, Valle del Cauca, Colombia SD.jpg)
Specimen Type: holotype Sex: f Institution: MNHUS Museu Nat Hist, Univ de Santiago de Compostela, Spain Photographer: Sergio Devesa Collection Location: Playa Rica, Rio Garrapatas, Valle del Cauca, Colombia 79210
|
 Devesa SS MHNUSC Playa Rica, Rio Garrapatas, Valle del Cauca, Colombia SD.jpg)
Specimen Type: holotype Sex: f Institution: MNHUS Museu Nat Hist, Univ de Santiago de Compostela, Spain Photographer: Sergio Devesa Collection Location: Playa Rica, Rio Garrapatas, Valle del Cauca, Colombia 79211
|
|