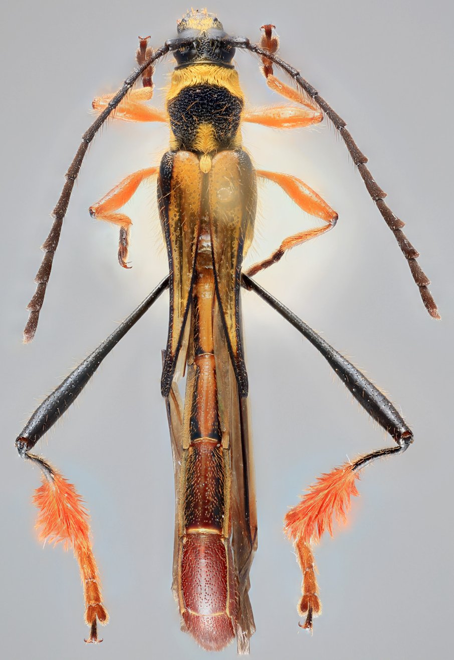
 Nearns Swift MNCR Santa Elena, Puntarenas, Costa Rica GN.jpg)
Specimen Type: holotype Sex: m Institution: MNCR Museo Nacional de Costa Rica (Arthropods), San José, Costa Rica Photographer: Gino Nearns Collection Location: Santa Elena, Puntarenas, Costa Rica 78759
|
 Nearns Swift MNCR Santa Elena, Puntarenas, Costa Rica GN.jpg)
Specimen Type: holotype Sex: m Institution: MNCR Museo Nacional de Costa Rica (Arthropods), San José, Costa Rica Photographer: Gino Nearns Collection Location: Santa Elena, Puntarenas, Costa Rica 78760
|
 Nearns Swift MNCR Santa Elena, Puntarenas, Costa Rica GN.jpg)
Specimen Type: holotype Sex: m Institution: MNCR Museo Nacional de Costa Rica (Arthropods), San José, Costa Rica Photographer: Gino Nearns Collection Location: Santa Elena, Puntarenas, Costa Rica 78761
|
|