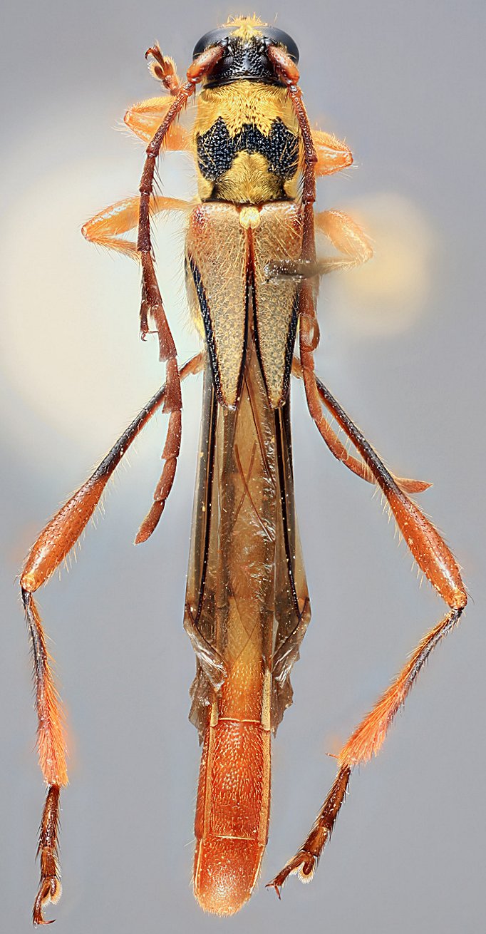
 Nearns Swift NMNH Xel-Ha, Quintana Roo, Mexico GN.jpg)
Specimen Type: holotype Sex: m Institution: NMNH United States National Museum, Washington, DC, USA Photographer: Gino Nearns Collection Location: Xel-Ha, Quintana Roo, Mexico 78755
|
 Nearns Swift NMNH Xel-Ha, Quintana Roo, Mexico GN.jpg)
Specimen Type: holotype Sex: m Institution: NMNH United States National Museum, Washington, DC, USA Photographer: Gino Nearns Collection Location: Xel-Ha, Quintana Roo, Mexico 78756
|
 Nearns Swift NMNH Xel-Ha, Quintana Roo, Mexico GN.jpg)
Specimen Type: holotype Sex: m Institution: NMNH United States National Museum, Washington, DC, USA Photographer: Gino Nearns Collection Location: Xel-Ha, Quintana Roo, Mexico 78757
|
 Nearns Swift NMNH Xel-Ha, Quintana Roo, Mexico GN.jpg)
Specimen Type: holotype Sex: m Institution: NMNH United States National Museum, Washington, DC, USA Photographer: Gino Nearns Collection Location: Xel-Ha, Quintana Roo, Mexico 78758
|
|