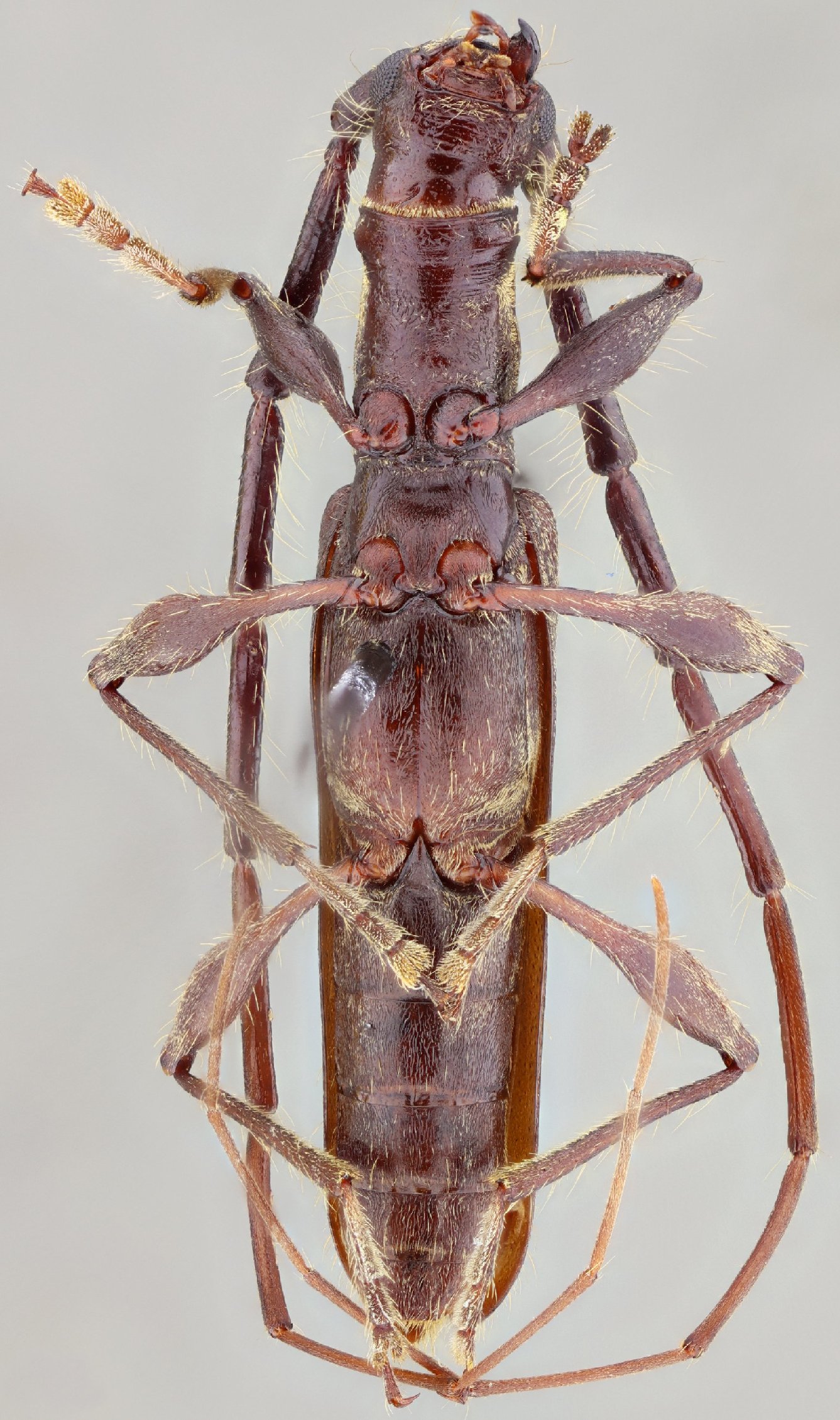
 Botero SS FSCA 7 km N Autlan de Navarro, Microondas San Francisco, Jalisco Mex SS.jpg)
Specimen Type: holotype Sex: m Institution: FSCA Florida State Collection of Arthropods, Gainesville, FL, USA Photographer: Antonio Santos-Silva Collection Location: 7 km N Autlan de Navarro, Microondas San Francisco, Jalisco Mexico 78697
|
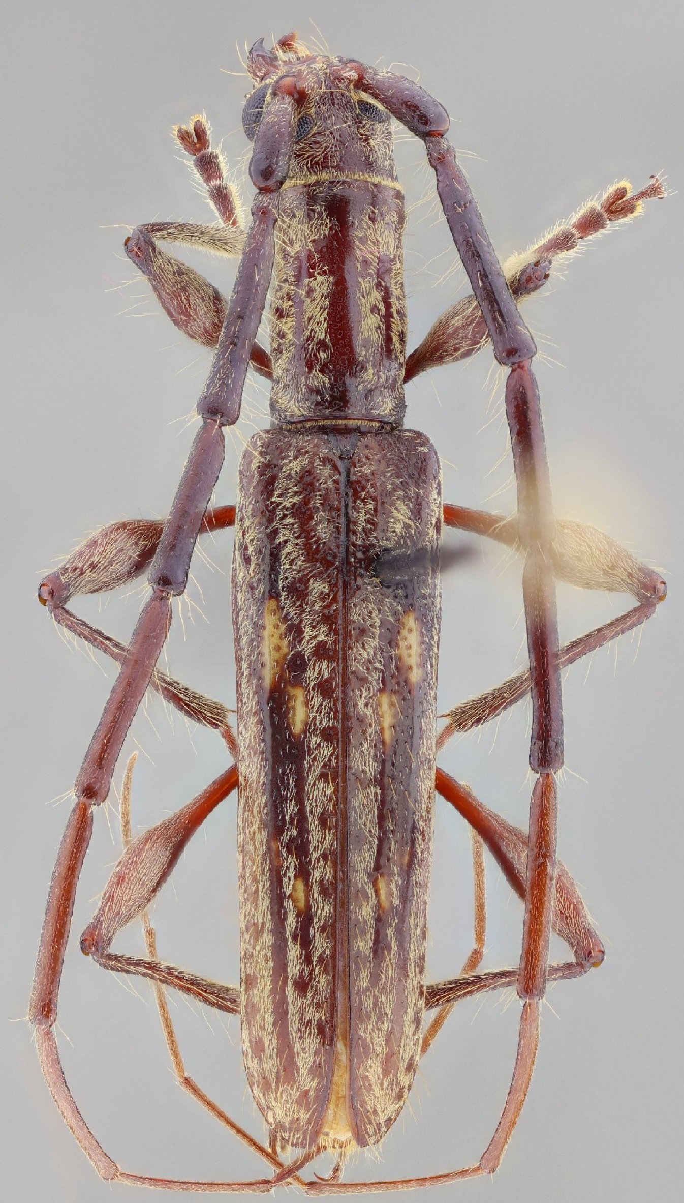
 Botero SS FSCA 7kmNAutlan de Navarro, Microondas San Francisco, Jalisco Mex SS.jpg)
Specimen Type: holotype Sex: m Institution: FSCA Florida State Collection of Arthropods, Gainesville, FL, USA Photographer: Antonio Santos-Silva Collection Location: 7 km N Autlan de Navarro, Microondas San Francisco, Jalisco Mexico 78698
|
 Botero SS FSCA 7kmNAutlan de Navarro, Microondas San Francisco, Jalisco Mex SS.jpg)
Specimen Type: holotype Sex: m Institution: FSCA Florida State Collection of Arthropods, Gainesville, FL, USA Photographer: Antonio Santos-Silva Collection Location: 7 km N Autlan de Navarro, Microondas San Francisco, Jalisco Mexico 78699
|
 Botero SS FSCA 7kmNAutlan de Navarro, Microondas San Francisco, Jalisco Mex SS.jpg)
Specimen Type: holotype Sex: m Institution: FSCA Florida State Collection of Arthropods, Gainesville, FL, USA Photographer: Antonio Santos-Silva Collection Location: 7 km N Autlan de Navarro, Microondas San Francisco, Jalisco Mexico 78700
|
 Botero SS FSCA 7kmNAutlan de Navarro, Microondas San Francisco, Jalisco Mex SS.jpg)
Specimen Type: holotype Sex: m Institution: FSCA Florida State Collection of Arthropods, Gainesville, FL, USA Photographer: Antonio Santos-Silva Collection Location: 7 km N Autlan de Navarro, Microondas San Francisco, Jalisco Mexico 78701
|
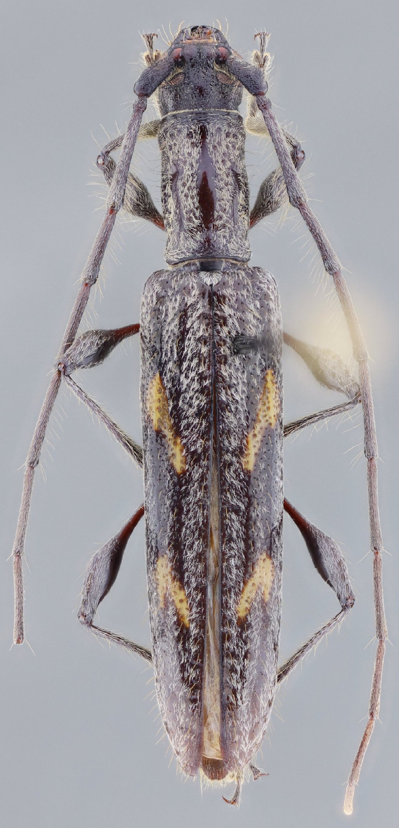
 Bot SS MZSP 2.4 km E San Lorenzo, Zacatecas, Mexico SS.jpg)
Sex: f Institution: MZSP Museu de Zoologia da Universidade de São Paulo, Brazil Photographer: Antonio Santos-Silva Collection Location: 2.4 km E San Lorenzo, Zacatecas, Mexico 96375
|
 Bot SS MZSP 2.4 km E San Lorenzo, Zacatecas, Mexico SS.jpg)
Sex: f Institution: MZSP Museu de Zoologia da Universidade de São Paulo, Brazil Photographer: Antonio Santos-Silva Collection Location: 2.4 km E San Lorenzo, Zacatecas, Mexico 96376
|
|