New Search Family, Subfamily and Tribe List

SubFamily Cerambycinae

Tribe Tropidini Neoibidionina
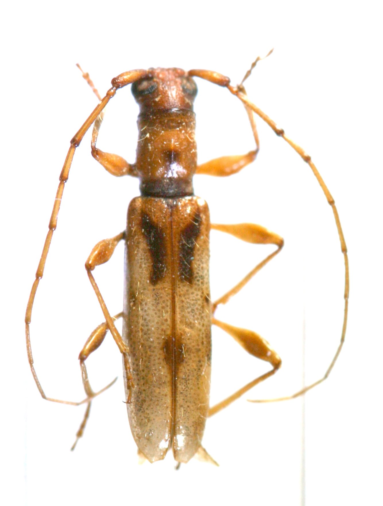
Compsibidion icaensis Audureau 2022

Specimen Type: holotype
Sex: m
Institution: Audureau Collection
Photographer: Alain Audureau
Collection Location: Ica Region, Ica Province, Peru
78695

130425