New Search Family, Subfamily and Tribe List

SubFamily Cerambycinae

Tribe Tropidini Neoibidionina
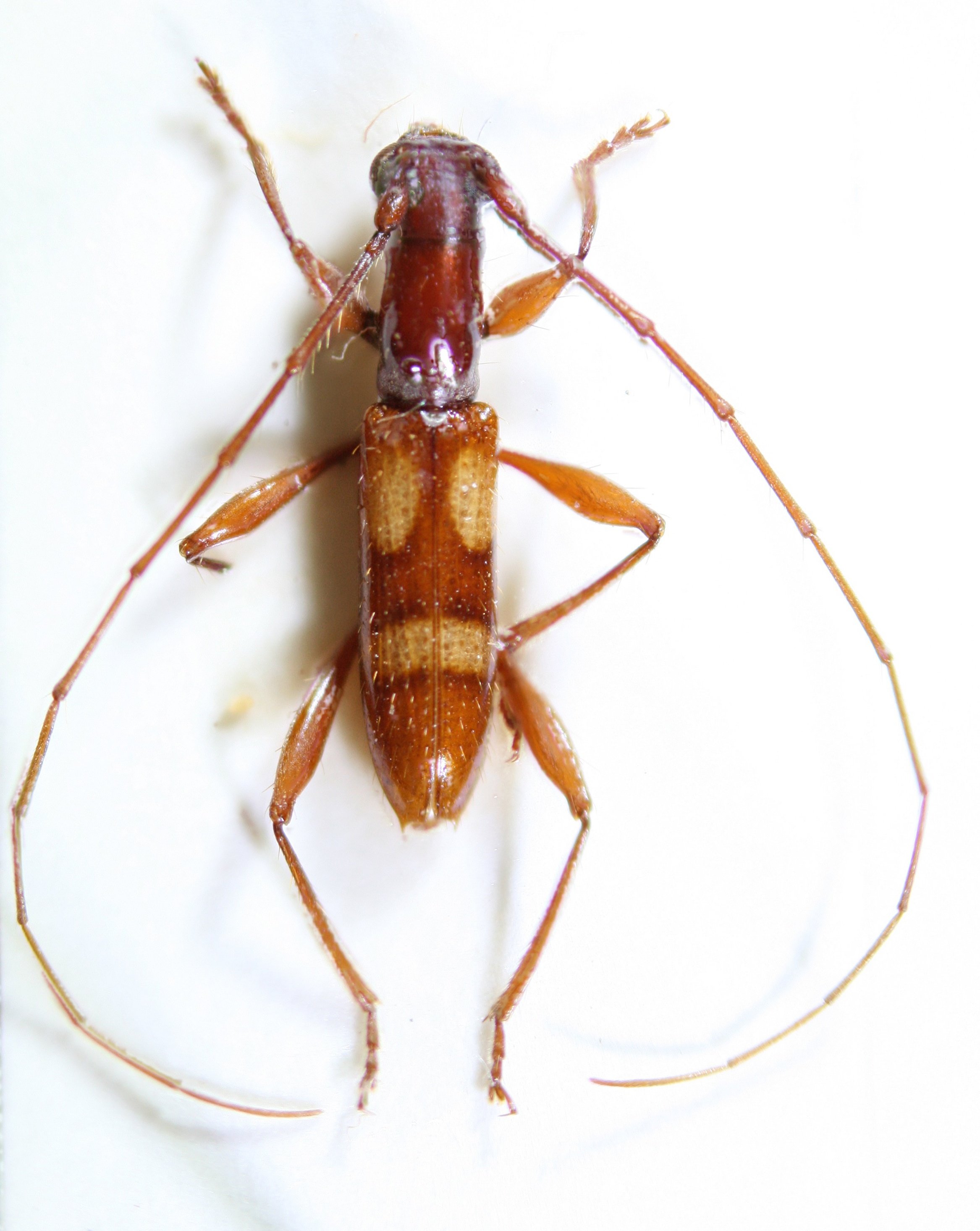
Compsibidion giuglarisi Audureau 2022

Specimen Type: holotype
Sex: m
Institution: Audureau Collection
Photographer: Alain Audureau
Collection Location: pk 30.5, route de Kaw, French Guiana
78694

130425