 Gouverneur coll Bao Lam, Lam Dong Province, Vietnam.jpg)
Specimen Type: holotype Sex: m Institution: Gouverneur Collection Photographer: Xavier Gouverneur Collection Location: Bao Lam, Lam Dong Province, Vietnam 78315
|
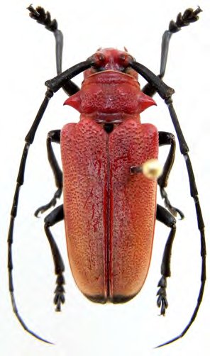
 Gouverneur coll Bao Lam, Lam Dong Province, Vietnam.jpg)
Specimen Type: paratype Sex: f Institution: Gouverneur Collection Photographer: Xavier Gouverneur Collection Location: Bao Lam, Lam Dong Province, Vietnam 78316
|